Discover the Ultimate Guide to Koh Rong Nang Dive Site Pattaya
Tucked within the dynamic waters of Samae San, the Koh Rong Nang dive site offers one of the most thrilling and biologically diverse experiences in the Pattaya scuba diving region. Known for its soft coral gardens, vibrant sponge-covered boulders, and sweeping currents ideal for drift dives, this Ultimate Guide to Koh Rong Nang Dive Site Pattaya provides everything divers need to plan an unforgettable underwater adventure. From topography and travel tips to gear recommendations and species encounters, every detail is grounded in local diving expertise.
Unlike more congested Pattaya wreck diving routes or shallow training zones, Koh Rong Nang is a site where conditions can shift quickly—making it an excellent choice for experienced divers or those completing their drift specialties through a Pattaya PADI dive center. The site is especially popular in the cooler dry months when visibility peaks and currents allow for long, scenic drifts along the reef slope.
Whether you’re mapping out your next tour of Samae San dive sites or crafting your dream itinerary for advanced-level Pattaya scuba diving, this Ultimate Guide to Koh Rong Nang Dive Site Pattaya will ensure you’re equipped with accurate, field-tested insight from real divers and local professionals.

Why Explore the Ultimate Guide to Koh Rong Nang Dive Site Pattaya?
The Koh Rong Nang dive site Pattaya delivers a dynamic, drift-friendly underwater environment that has earned its place among the most rewarding Samae San dive sites. Located in a less-trafficked corridor south of the main island cluster, this reef-lined pinnacle is known for its healthy coral slopes, blue-spotted stingrays, and nutrient-rich current lanes that attract everything from batfish to nudibranchs. This Ultimate Guide to Koh Rong Nang Dive Site Pattaya is designed to give you the full scope—from real diver reports to seasonal behavior of marine life—so you can plan with confidence.
With an average depth of 16 meters and drift paths reaching beyond 20 meters, Koh Rong Nang offers a more advanced profile than most nearby Pattaya scuba diving options. It’s also a favorite among instructors guiding students through drift or advanced open water courses via a certified Pattaya PADI dive center. The terrain ranges from coral heads and soft sponge gardens to whip coral towers, making every dive route visually engaging and ecologically rich.
Unlike the more crowded Pattaya wreck diving circuits, Koh Rong Nang provides a focused reef experience where divers can explore without competition. Macro life clings to every shaded crevice, while schooling fish move fluidly along the current-fed ledges. This Ultimate Guide to Koh Rong Nang Dive Site Pattaya outlines not only what you’ll see, but how, when, and why this site remains one of the eastern gulf’s best-kept secrets.
Marine Life at Koh Rong Nang Dive Site Pattaya
The Ultimate Guide to Koh Rong Nang Dive Site Pattaya would be incomplete without a deep dive into the rich and colorful marine life that defines this remote corner of the Samae San dive sites. Unlike the shallower coral gardens near shore or the steel structures of Pattaya wreck diving, Koh Rong Nang offers a natural reefscape teeming with biodiversity. Its soft coral slopes, barrel sponges, and current-fed ledges host a mix of macro and mid-size species, providing unforgettable sightings for everyone from advanced divers to macro enthusiasts.
The sloping terrain and sponge-covered boulders attract species such as lionfish, scorpionfish, and schooling batfish. Along the sandy outskirts, blue-spotted stingrays are frequently seen gliding beneath dive groups. Moray eels poke out from shaded rock clusters, while nudibranchs and feather stars cling to whip corals—making it a standout among all Samae San dive sites. For divers joining trips through a Pattaya PADI dive center, this site offers some of the best chances to observe behavior-rich reef species without the crowds.
Though Koh Rong Nang doesn’t feature sunken ships typical of Pattaya wreck diving, its reef offers structure and species variety that rivals any artificial habitat. For those progressing through PADI certifications or returning to refine their buoyancy and macro photography, this Ultimate Guide to Koh Rong Nang Dive Site Pattaya showcases why it has become a must-visit in the Pattaya scuba diving landscape.



Batfish – The Graceful Shadows of Koh Rong Nang Dive Site Pattaya
- Species Identification
Common Name: Batfish
Scientific Name: Platax orbicularis - How Often Can You See Them
Batfish are among the most reliable sightings at the Koh Rong Nang dive site Pattaya, often spotted hovering near reef ledges or drifting gracefully beside divers. Their disc-like shape and silvery bodies make them easy to recognize. Divers exploring Samae San dive sites—especially during PADI certifications or guided Pattaya scuba diving tours—report batfish on almost every visit to the site. - Behavior at the Reef
Batfish are calm, social creatures that often follow dive groups out of curiosity. At Koh Rong Nang, they are commonly seen cruising in loose schools along coral walls or pausing around bommies in the mid-water column. They tend to stick near cleaning stations or areas rich in soft corals, often mingling with bannerfish and fusiliers. - Photography Tips
Use a wide-angle lens and stay at a respectful distance to avoid startling them. Since batfish often swim alongside divers, try framing them in mid-water against soft coral backdrops. The open swim-throughs at Koh Rong Nang dive site Pattaya provide ideal lighting angles—especially on sunny mornings during Thailand scuba diving season. - Why This Site Attracts Them
The moderate currents and nutrient flow at Koh Rong Nang support planktonic life that attracts mid-column feeders like batfish. Combined with the site’s vertical coral formations and low diver congestion, this makes it a preferred haunt among Pattaya PADI dive center guides introducing students to fish identification. - Conservation or Ecological Note
Batfish play a role in controlling algae and parasites through their feeding and cleaning-station visits. Their repeated presence at a site suggests a stable food chain and healthy reef slope. Divers are encouraged to avoid chasing or cornering them, which can cause stress and disturb their natural patterns. - Fun Fact or Trivia
Juvenile batfish look nothing like their adult forms—they’re often black with trailing fins that mimic fallen leaves. As they mature, they undergo one of the most dramatic transformations in reef fish morphology. Seeing both juvenile and adult forms on a single dive is part of what makes Pattaya scuba diving, and especially the Ultimate Guide to Koh Rong Nang Dive Site Pattaya, such a rewarding underwater journey.
Blue-Spotted Stingrays – The Electric Gliders of Koh Rong Nang Dive Site Pattaya
- Species Identification
Common Name: Blue-Spotted Stingray
Scientific Name: Taeniura lymma - How Often Can You See Them
Blue-spotted stingrays are one of the most commonly encountered species at the Koh Rong Nang dive site Pattaya. They are frequently observed gliding across sandy patches or partially buried beneath the sediment near coral bommies. Divers exploring Samae San dive sites, whether on fun dives or working through PADI certifications with a Pattaya PADI dive center, often report seeing several individuals in a single dive. - Behavior at the Reef
These stingrays prefer soft-bottomed reef zones where they hunt for crustaceans and small fish. At Koh Rong Nang, they’re most active during early morning dives or slack tides, when they emerge to forage. Often shy, they will usually swim off if approached too quickly, but careful divers can observe their graceful movement and feeding behavior. - Photography Tips
Approach slowly from the side, keeping your body low and avoiding direct eye contact. Use a moderate wide-angle lens to capture their glowing blue spots and ripple trails in the sand. Koh Rong Nang dive site Pattaya offers clear sight lines and stable sandy floors, making it an ideal place to photograph these elusive gliders in their natural setting—especially during calm Thailand scuba diving conditions. - Why This Site Attracts Them
Koh Rong Nang’s alternating reef-and-sand layout offers perfect camouflage zones and hunting grounds for blue-spotted stingrays. The moderate current flow delivers plankton and micro-crustaceans into shallow gullies, and low diver density makes them less likely to flee—unlike more trafficked Pattaya wreck diving locations. - Conservation or Ecological Note
These rays are vulnerable to overfishing and habitat destruction. As bottom-dwellers, they’re sensitive to anchor damage and reef trampling. Divers should maintain neutral buoyancy and avoid disturbing sandbanks where stingrays may be resting. Their presence at Koh Rong Nang signals a relatively intact benthic ecosystem within the Samae San dive sites. - Fun Fact or Trivia
Despite their gentle appearance, blue-spotted stingrays possess venomous barbs on their tails used strictly for defense. They’re also equipped with electroreceptors that help detect prey hidden beneath the sand. Observing them in action is one of the unique highlights of Pattaya scuba diving—and a core memory for anyone who follows this Ultimate Guide to Koh Rong Nang Dive Site Pattaya.
Blacktip Reef Sharks – The Sleek Sentinels of Koh Rong Nang Dive Site Pattaya
- Species Identification
Common Name: Blacktip Reef Shark
Scientific Name: Carcharhinus melanopterus - How Often Can You See Them
Blacktip reef sharks are occasional but thrilling sightings at the Koh Rong Nang dive site Pattaya. Typically spotted in the early morning or at depth transitions along the reef edge, they are more frequently observed during the dry season when visibility is highest. Divers exploring Samae San dive sites with trained eyes—especially those diving with a Pattaya PADI dive center—often report encounters while completing advanced or drift certifications. - Behavior at the Reef
These sharks are non-aggressive and naturally shy around humans. At Koh Rong Nang, they are seen cruising the deeper outer slope or circling near bommies where small fish school. Solitary or in pairs, they tend to maintain distance but are more tolerant of divers who stay calm and still. - Photography Tips
Use a wide-angle or action camera with a focus on ambient light rather than strobes, as sudden flashes may startle them. The deeper channels at Koh Rong Nang dive site Pattaya offer the best chance for clean, backlit silhouettes during drift dives. Frame them against the blue water column and maintain a respectful distance—this is a top-tier thrill in Thailand scuba diving. - Why This Site Attracts Them
The strong current corridors and seasonal baitfish populations around Koh Rong Nang create ideal hunting grounds for blacktip reef sharks. Unlike the more turbulent or disturbed zones of Pattaya wreck diving areas, this reef provides relative calm, predictable terrain, and enough depth for wide-ranging predators to pass through comfortably. - Conservation or Ecological Note
Blacktip reef sharks are near-threatened due to overfishing and habitat pressure. Their presence at Koh Rong Nang signals balanced food-chain dynamics and limited human interference. Divers are strongly encouraged to observe passively, avoid chasing, and never attempt to bait or provoke sharks for photography. - Fun Fact or Trivia
Blacktip reef sharks can sense vibrations and electrical fields generated by prey—making them expert hunters. They often circle an area before striking, a behavior you might witness on a well-timed dive. Spotting one at Koh Rong Nang is a milestone in many Pattaya scuba diving logs and one of the reasons the Ultimate Guide to Koh Rong Nang Dive Site Pattaya exists: to celebrate the raw magic of real marine encounters.
Bearded Scorpionfish – The Camouflaged Predators of Koh Rong Nang Dive Site Pattaya
- Species Identification
Common Name: Bearded Scorpionfish
Scientific Name: Scorpaenopsis barbata - How Often Can You See Them
Bearded scorpionfish are regularly sighted at the Koh Rong Nang dive site Pattaya, particularly around coral bommies, rubble patches, and rocky outcrops. Their extraordinary camouflage means they are often only noticed by sharp-eyed guides or macro-focused divers. Those exploring Samae San dive sites or training through a Pattaya PADI dive center often learn to identify them during fish-ID modules or advanced courses in reef ecology. - Behavior at the Reef
These ambush predators remain motionless for long periods, blending into their surroundings to surprise prey like shrimp and small fish. At Koh Rong Nang, they are most commonly found perched on soft corals, sponge-encrusted rock shelves, or rubble near current breaks. They rely entirely on stillness and disguise to hunt—and to stay safe from predators and divers. - Photography Tips
Use a macro or mid-range lens with focus on depth of field to bring out the scorpionfish’s ornate skin textures. Avoid touching or getting too close, as their dorsal spines are venomous. Koh Rong Nang dive site Pattaya offers excellent subjects for patient photographers during calm Thailand scuba diving conditions, especially near the mid-reef zones where visibility and lighting align best. - Why This Site Attracts Them
The site’s sponge-covered terrain and shadowy crevices provide perfect ambush positions for bearded scorpionfish. Unlike flat-bottom zones of Pattaya wreck diving areas, the layered reef architecture of Koh Rong Nang offers ample perching spots that support cryptic species like this—making it a favorite among experienced Samae San dive sites guides. - Conservation or Ecological Note
While they play a vital role in controlling reef fish populations, scorpionfish are highly sensitive to disruption. Their camouflage makes them vulnerable to accidental contact by divers with poor buoyancy. Maintaining proper fin control and distance is essential to preserve their behavior—and to avoid painful venomous encounters. - Fun Fact or Trivia
The “beard” of the bearded scorpionfish refers to skin flaps and appendages under their chin, which help break up their outline and enhance camouflage. Despite their fearsome look, they rarely move unless approached too closely. Spotting one in full view during a dive is a quiet triumph—a detail that makes Pattaya scuba diving, and especially the Ultimate Guide to Koh Rong Nang Dive Site Pattaya, endlessly rewarding.



Chevron Barracuda – The Silver Arrows of Koh Rong Nang Dive Site Pattaya
- Species Identification
Common Name: Chevron Barracuda
Scientific Name: Sphyraena qenie - How Often Can You See Them
Chevron barracuda are frequently encountered at the Koh Rong Nang dive site Pattaya, typically seen in mid-water schools cruising just off the reef. Their streamlined bodies and sharp profiles make them easy to identify even from a distance. Divers exploring Samae San dive sites—particularly during drift dives with a Pattaya PADI dive center—often report large, slow-moving groups of these predators patrolling the reef edge. - Behavior at the Reef
These barracuda form loosely structured schools and maintain a steady cruising pattern above sloping reefs and drop-offs. At Koh Rong Nang, they tend to hang in the blue zone around 12–20 meters, often parallel to the current. Their calm demeanor and reflective silver scales make them one of the more photogenic pelagic visitors to the reef. - Photography Tips
Use a wide-angle lens and prepare to shoot upward toward the light column for maximum silhouette impact. Stay slightly below the school and avoid chasing. The sloped reef structure at Koh Rong Nang dive site Pattaya allows divers to position themselves easily beneath the school—ideal for capturing iconic Thailand scuba diving shots with strong light contrast and depth layering. - Why This Site Attracts Them
The consistent currents and open reef channels at Koh Rong Nang bring in small fish and plankton—ideal hunting conditions for barracuda. Compared to more sheltered Pattaya wreck diving spots, this site’s flowing water and topography support pelagic movement and visibility, making it a common waypoint for chevron schools in the Samae San dive sites region. - Conservation or Ecological Note
As apex predators, barracuda help maintain balance in reef ecosystems by regulating populations of smaller reef fish. Their consistent presence at Koh Rong Nang indicates both healthy prey availability and minimal boat traffic. Divers are reminded not to use flash directly on the school and to avoid sudden vertical ascents through the group. - Fun Fact or Trivia
Chevron barracuda often swim in a swirling formation when relaxed, creating a mesmerizing tornado-like pattern that’s a favorite among wide-angle photographers. While their large teeth and predatory look may seem intimidating, they’re not aggressive toward divers. Spotting a large school during your dive at Koh Rong Nang is one of the top moments featured in this Ultimate Guide to Koh Rong Nang Dive Site Pattaya—and a major highlight of Pattaya scuba diving.
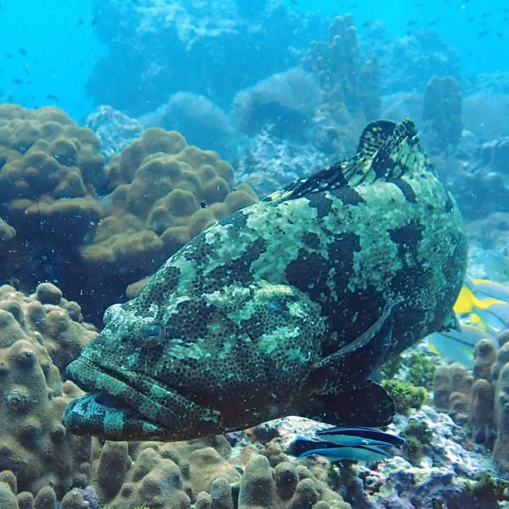
Groupers – The Watchful Giants of Koh Rong Nang Dive Site Pattaya
- Species Identification
Common Name: Grouper
Scientific Name: Various, including Epinephelus malabaricus (Malabar Grouper), Cephalopholis argus (Peacock Grouper) - How Often Can You See Them
Groupers are regularly observed at the Koh Rong Nang dive site Pattaya, often lurking beneath ledges, coral overhangs, or between large boulders. These territorial reef residents are a staple sight on deeper dives. Divers who frequent Samae San dive sites or take part in advanced open water courses through a Pattaya PADI dive center frequently encounter groupers while exploring the reef’s mid to lower zones. - Behavior at the Reef
Known for their ambush hunting style, groupers remain motionless for long stretches before striking at unsuspecting prey. At Koh Rong Nang, they often stake out a favored hollow or cave and return to it repeatedly. Their size and solitary nature make them easy to spot when they’re not tucked away in their crevice—especially on early or late-day dives when they’re most active. - Photography Tips
Use a medium zoom or wide-angle lens depending on size and proximity. Avoid using direct flash inside crevices to prevent stress. Koh Rong Nang dive site Pattaya offers natural light filtering through overhangs—perfect for capturing these majestic predators. With good buoyancy, you can frame them as part of the coral structure, creating dramatic shadow contrast shots typical of high-quality Thailand scuba diving photography. - Why This Site Attracts Them
Koh Rong Nang’s rugged reef architecture—with large boulders, tunnels, and shaded crevices—is ideal for ambush predators like groupers. The abundance of prey fish and relatively low diver traffic compared to Pattaya wreck diving sites gives them both the food and the territory they need to thrive in this part of the Samae San dive sites cluster. - Conservation or Ecological Note
Groupers are vulnerable to overfishing due to their slow reproductive cycles and territorial nature. Divers should observe without disturbing their shelter and avoid shining lights directly into their eyes. Their presence at Koh Rong Nang indicates stable reef health and sufficient fish populations to support top-level predators. - Fun Fact or Trivia
Some grouper species can change sex during their lifetime—a biological strategy called sequential hermaphroditism. They are also known to collaborate with other species like moray eels during cooperative hunting. Witnessing a large grouper hold its territory at Koh Rong Nang is a striking reminder of why Pattaya scuba diving continues to attract ecologically curious divers—and why this Ultimate Guide to Koh Rong Nang Dive Site Pattaya highlights them as essential residents of the reef.
Moray Eels – The Secretive Guardians of Koh Rong Nang Dive Site Pattaya
- Species Identification
Common Name: Moray Eel
Scientific Name: Various, including Gymnothorax javanicus (Giant Moray), Gymnothorax pictus (Peppered Moray), Gymnothorax flavimarginatus (Yellow-edged Moray) - How Often Can You See Them
Moray eels are a common feature of the reef at the Koh Rong Nang dive site Pattaya, frequently observed peeking from holes, crevices, or pipes nestled within coral formations. Divers exploring Samae San dive sites or working on their fish-identification dives through a Pattaya PADI dive center often encounter multiple individuals during a single dive—especially on the eastern reef slope. - Behavior at the Reef
Morays are solitary, secretive predators that prefer to remain partially hidden, striking quickly when prey such as crustaceans or small fish pass by. At Koh Rong Nang, they are commonly found within rocky alcoves and the overhangs of large coral heads. During night dives, they may emerge fully from their lairs, moving snake-like across the reef in search of food. - Photography Tips
Use a macro or mid-range zoom lens and maintain a respectful distance—never provoke or attempt to lure them out. Frame their open mouths (used for respiration, not aggression) in side profile to capture detail. Koh Rong Nang dive site Pattaya’s many sponge-covered ledges provide perfect lighting contrast for stunning Thailand scuba diving portraits of these iconic reef dwellers. - Why This Site Attracts Them
The reef architecture at Koh Rong Nang—with its mix of large rocks, coral blocks, and shaded crevices—creates a perfect labyrinth of hiding places for morays. The site is less disturbed than some nearby Pattaya wreck diving zones, allowing these shy predators to remain in one territory for extended periods. It’s a classic moray habitat among Samae San dive sites. - Conservation or Ecological Note
Morays are important mid-level predators in the reef food web. Their ability to control fish and crustacean populations contributes to ecological balance. Divers are reminded not to stick hands into holes or crevices—both for their own safety and to avoid disturbing the eel’s behavior or habitat. - Fun Fact or Trivia
Despite their snake-like appearance, morays are actually fish—and lack scales. They have poor vision but an exceptional sense of smell. Some species are known to share hunting roles with groupers, coordinating movement to flush out prey. Spotting a giant moray in full view at Koh Rong Nang is a memorable moment for any Pattaya scuba diving enthusiast and another reason this Ultimate Guide to Koh Rong Nang Dive Site Pattaya emphasizes their role on the reef.



Parrotfish – The Reef Sculptors of Koh Rong Nang Dive Site Pattaya
- Species Identification
Common Name: Parrotfish
Scientific Name: Various, including Scarus niger (Dusky Parrotfish), Chlorurus sordidus (Bullethead Parrotfish), Scarus ghobban (Blue-barred Parrotfish) - How Often Can You See Them
Parrotfish are among the most commonly seen herbivores at the Koh Rong Nang dive site Pattaya. Whether grazing alone or moving in small groups, they’re a consistent presence during most dives—especially in the mid-depth zones with rich coral coverage. Both recreational divers and students training with a Pattaya PADI dive center frequently observe them while exploring the reef systems around Samae San dive sites. - Behavior at the Reef
Parrotfish spend much of their time scraping algae and coral with their fused, beak-like teeth. This feeding behavior contributes to sand production and coral health. At Koh Rong Nang, they are active during daylight hours and are often seen darting between bommies, feeding across coral heads, or sleeping in mucus cocoons at night beneath ledges. - Photography Tips
Use a mid-range lens and approach at an angle, as parrotfish can be easily startled. Their vibrant coloration—especially in terminal males—makes them excellent subjects. The clear water and textured coral terrain at Koh Rong Nang dive site Pattaya provide beautiful natural backdrops for wide-angle reef shots, especially for photographers documenting the biodiversity of Thailand scuba diving. - Why This Site Attracts Them
The healthy coral coverage and abundant turf algae at Koh Rong Nang offer ideal feeding conditions for parrotfish. Unlike high-traffic Pattaya wreck diving zones, this site has large uninterrupted coral beds where parrotfish can feed undisturbed. The site’s reef slope and lagoon zones are typical of prime grazing territory found throughout Samae San dive sites. - Conservation or Ecological Note
Parrotfish play a crucial ecological role by preventing algal overgrowth, which can choke coral reefs. Protecting them from fishing and overexposure to divers helps maintain reef resilience. At Koh Rong Nang, observing their natural grazing behavior is a sign of a well-functioning reef system—something all Pattaya scuba diving visitors benefit from. - Fun Fact or Trivia
Parrotfish are responsible for much of the white sand found on tropical beaches—producing it as a byproduct of their coral-feeding. Some species can change sex and color throughout their lives. Watching a colorful male carve through coral with its beak is a visual highlight featured in the Ultimate Guide to Koh Rong Nang Dive Site Pattaya—and a beloved subject for both beginner and seasoned divers.
Yellow Boxfish – The Floating Cubes of Koh Rong Nang Dive Site Pattaya
- Species Identification
Common Name: Yellow Boxfish
Scientific Name: Ostracion cubicus - How Often Can You See Them
Yellow boxfish are a charming and moderately frequent sight at the Koh Rong Nang dive site Pattaya. Juveniles, with their vibrant yellow coloration and black polka dots, are more commonly seen than adults. They tend to hover near coral outcrops or under ledges, especially in calmer reef zones. Divers exploring Samae San dive sites or training in fish identification through a Pattaya PADI dive center often list this quirky species among their favorite sightings. - Behavior at the Reef
Boxfish are slow-moving, solitary swimmers that feed on algae, small invertebrates, and detritus. At Koh Rong Nang, they are typically found in protected corners of the reef, darting into shelter when approached. Their boxy shape limits maneuverability, so they rely on camouflage and chemical defenses rather than speed for protection. - Photography Tips
Use a mid-range or macro lens, and approach from the side with slow movements. Their reflective surface can create backscatter in direct flash, so angle lighting from above or behind. The coral valleys and sponge-covered walls at Koh Rong Nang dive site Pattaya give plenty of natural framing options for highlighting this species—especially in the warm light of late-morning dives during Thailand scuba diving season. - Why This Site Attracts Them
Koh Rong Nang’s gently sloping reefs and patchy coral gardens provide the calm, food-rich microhabitats boxfish prefer. Unlike deeper Pattaya wreck diving locations where currents can be stronger, the moderate flow and stable coral cover here make it one of the better Samae San dive sites for juvenile reef species like the yellow boxfish. - Conservation or Ecological Note
When stressed, boxfish can release a toxic chemical (ostracitoxin) that’s harmful to nearby fish in enclosed environments. Though not a threat to divers, it highlights the importance of avoiding harassment or overexposure. Their presence in reef shallows indicates low stress levels and healthy water quality at Koh Rong Nang. - Fun Fact or Trivia
The juvenile yellow boxfish is one of the most photographed reef fish in the world thanks to its cartoon-like appearance and curious behavior. As they mature, their colors darken and their bodies grow less cube-like. Spotting a bright yellow juvenile drifting through the coral maze is a small but joyful moment celebrated by divers in this Ultimate Guide to Koh Rong Nang Dive Site Pattaya—and a highlight of Pattaya scuba diving for photographers of all levels.
Schooling Bannerfish – The Reef Dancers of Koh Rong Nang Dive Site Pattaya
- Species Identification
Common Name: Schooling Bannerfish
Scientific Name: Heniochus diphreutes - How Often Can You See Them
Schooling bannerfish are a familiar and eye-catching presence at the Koh Rong Nang dive site Pattaya. Known for their elegant movements and bold black-and-white coloration, they’re frequently seen in loose shoals near reef drop-offs and coral slopes. Divers exploring Samae San dive sites or completing group navigation or buoyancy dives with a Pattaya PADI dive center often encounter bannerfish weaving rhythmically through soft coral gardens. - Behavior at the Reef
Unlike their cousin the longfin bannerfish (Heniochus acuminatus), schooling bannerfish tend to stay in coordinated groups, feeding on plankton and small invertebrates in mid-water. At Koh Rong Nang, they gather near mild current zones where upwelling brings nutrients. Their synchronized swimming patterns create a mesmerizing visual as they hover above coral bommies or follow the reef’s natural contour. - Photography Tips
Use a wide-angle or action camera and position yourself slightly below the school to capture them against the open water. Their bold contrast makes them photogenic even in lower visibility. The topography at Koh Rong Nang dive site Pattaya—especially along the eastern slope—offers excellent opportunities for capturing bannerfish in formation, a favorite subject in Thailand scuba diving photo logs. - Why This Site Attracts Them
The steady current lanes and vertical reef structures of Koh Rong Nang create perfect feeding conditions for planktivores like bannerfish. The absence of heavy boat traffic, common in Pattaya wreck diving zones, ensures that schooling fish like these can remain undisturbed. Among Samae San dive sites, Koh Rong Nang is particularly favored for its blend of pelagic interaction and reef proximity. - Conservation or Ecological Note
Bannerfish play an important role as indicators of plankton movement and midwater food chain health. Divers are reminded to observe from a distance and avoid swimming directly through a school. Their continued presence suggests that the water column at Koh Rong Nang remains unpolluted and rich with food. - Fun Fact or Trivia
Often confused with juvenile angelfish or butterflyfish, schooling bannerfish use their coloration as a defense mechanism—confusing predators with flashing motion. Watching dozens of them move as one is a top-tier experience in Pattaya scuba diving, and one of the many reasons this Ultimate Guide to Koh Rong Nang Dive Site Pattaya considers them emblematic of the site’s grace and energy.



Christmas Tree Worms – The Spiral Jewels of Koh Rong Nang Dive Site Pattaya
- Species Identification
Common Name: Christmas Tree Worm
Scientific Name: Spirobranchus giganteus - How Often Can You See Them
Christmas tree worms are incredibly common at the Koh Rong Nang dive site Pattaya, often seen embedded in the surface of large coral heads. Their vibrant, spiral-shaped crowns appear in nearly every color imaginable. Divers navigating through Samae San dive sites—especially during slow-paced reef dives or underwater naturalist courses with a Pattaya PADI dive center—encounter them by the dozens on almost every coral formation. - Behavior at the Reef
These stationary worms extend their dual “tree” structures to filter plankton from the water. The slightest movement from a passing diver can cause them to retract instantly into their calcareous tubes for protection. At Koh Rong Nang, they are most densely populated on massive Porites coral heads along the mid-reef zones, making them one of the most recognizable invertebrates in Pattaya scuba diving. - Photography Tips
Use a macro lens with soft side lighting to highlight texture and color. Approach slowly and exhale gently to avoid triggering their defense reflex. Koh Rong Nang dive site Pattaya offers stable terrain and low swell, which are ideal conditions for macro photographers capturing these worms—especially during Thailand scuba diving’s calmer seasons. - Why This Site Attracts Them
Koh Rong Nang’s healthy coral cover and low sedimentation support the stable surfaces Christmas tree worms need to anchor their tubes. Unlike shifting sandy patches at Pattaya wreck diving sites, this reef offers permanence and food-rich currents that keep them well-fed. Their abundance also reflects minimal physical coral damage—an ecological strength among Samae San dive sites. - Conservation or Ecological Note
These worms are sensitive to reef damage, particularly from careless fin kicks and anchor drops. Their presence in high numbers indicates coral health and low physical disturbance. Divers are advised not to touch the coral surfaces that host them and to control buoyancy carefully while observing. - Fun Fact or Trivia
Each “tree” on a Christmas tree worm is a crown of radioles used for feeding and respiration. The worm itself never leaves its limestone tube and can live for decades. Their colorful spirals are often among the first macro subjects taught to students in Pattaya scuba diving courses, and their beauty is celebrated in every serious underwater photo collection tied to this Ultimate Guide to Koh Rong Nang Dive Site Pattaya.
Sea Fans – The Flowing Architects of Koh Rong Nang Dive Site Pattaya
- Species Identification
Common Name: Sea Fan
Scientific Name: Various species in the Gorgonia and Annella genera - How Often Can You See Them
Sea fans are a signature feature of the reefscape at the Koh Rong Nang dive site Pattaya, frequently encountered along sloping reef walls and rocky outcrops. Their broad, lacy structures sway in the current and are home to numerous small creatures. Divers visiting Samae San dive sites—especially those exploring deeper ledges or training with a Pattaya PADI dive center—regularly spot these coral giants anchoring the vertical terrain. - Behavior at the Reef
While sea fans are stationary colonial organisms, they are biologically active filter feeders. Positioned perpendicular to current flow, they extend thousands of tiny polyps to trap plankton. At Koh Rong Nang, they often dominate the shaded overhangs or face outward on sloped walls, providing structure for shrimp, gobies, and occasionally even pygmy seahorses—though the latter are rare. - Photography Tips
Use a wide-angle lens to capture the full structure, ideally with natural light streaming from above. To highlight detail, shoot with a macro lens and focus on polyps or resident critters. Koh Rong Nang dive site Pattaya offers excellent photo compositions where sea fans curve elegantly against the blue water column—especially popular during Thailand scuba diving’s peak visibility months. - Why This Site Attracts Them
Sea fans thrive in moderate to strong current zones with clear, nutrient-rich water—precisely the conditions found along the eastern walls of Koh Rong Nang. Unlike flat or silt-prone areas near some Pattaya wreck diving sites, this reef provides firm substrates and steady flow, making it a sea fan haven among Samae San dive sites. - Conservation or Ecological Note
Sea fans are highly vulnerable to breakage from poor fin control and direct contact. They are also sensitive to pollution and sedimentation. Their widespread and healthy distribution at Koh Rong Nang reflects good reef integrity and relatively undisturbed coral development—a point of pride for local Pattaya scuba diving professionals who promote reef-safe diving practices. - Fun Fact or Trivia
Sea fans can grow up to two meters across and may live for decades. Some species fluoresce under UV light, revealing hidden hues at night. Their branching patterns are fractal-like—mathematically complex and biologically efficient. As featured in this Ultimate Guide to Koh Rong Nang Dive Site Pattaya, sea fans are not only structural marvels but also vital to the reef’s living architecture.
Sea Turtles – The Timeless Drifters of Koh Rong Nang Dive Site Pattaya
- Species Identification
Common Name: Sea Turtle
Scientific Names: Eretmochelys imbricata (Hawksbill Turtle), Chelonia mydas (Green Turtle) - How Often Can You See Them
Both hawksbill and green turtles are occasionally seen at the Koh Rong Nang dive site Pattaya, often gliding above coral formations or resting in sponge-covered hollows. While not a guaranteed sighting, their presence is frequent enough that divers exploring Samae San dive sites—especially on early dives or during surface intervals—often log turtle encounters. Many divers completing PADI certifications with a Pattaya PADI dive center consider spotting one the highlight of their Pattaya scuba diving journey. - Behavior at the Reef
Hawksbill turtles prefer feeding on sponges and soft corals, using their pointed beaks to extract prey from reef crevices. Green turtles, on the other hand, are grazers and are occasionally spotted nibbling on algae along reef plateaus. At Koh Rong Nang, turtles can be seen calmly navigating the reef slope or surfacing for air in the blue water column. - Photography Tips
Use a wide-angle lens and keep your distance to avoid startling the animal. Do not chase or block its surfacing route. Koh Rong Nang dive site Pattaya is well-suited for capturing natural turtle behavior against vibrant reef backdrops, especially during Thailand scuba diving’s peak visibility season (November–February). Silhouette shots during ascent or grazing close-ups are both rewarding. - Why This Site Attracts Them
The reef’s abundance of sponges, corals, and algae offers reliable feeding grounds for both hawksbill and green turtles. Compared to the busier Pattaya wreck diving areas, Koh Rong Nang provides a more tranquil, biodiverse environment with fewer divers—making it one of the more turtle-friendly sites among Samae San dive sites. - Conservation or Ecological Note
Both turtle species are endangered due to habitat loss, marine pollution, and illegal trade. Divers must not approach, touch, or follow them closely. Flash photography is discouraged. Their continued presence at Koh Rong Nang is a sign of good reef health and respectful diver practices—a balance every Pattaya scuba diving site should strive for. - Fun Fact or Trivia
Hawksbill turtles have a narrow, pointed beak perfect for reaching into crevices, while green turtles have a rounder face and are named for the greenish hue of their fat, not their shell. Watching either species rise gracefully for air or feed among the corals is a signature moment in the Ultimate Guide to Koh Rong Nang Dive Site Pattaya—one that lingers in the memory of divers long after surfacing.
Soft Corals – The Living Tapestries of Koh Rong Nang Dive Site Pattaya
- Species Identification
Common Name: Soft Coral
Scientific Name: Various species in the orders Alcyonacea and Nephtheidae - How Often Can You See Them
Soft corals are one of the most visually dominant lifeforms at the Koh Rong Nang dive site Pattaya. They blanket boulders, reef walls, and ledges in a range of colors—from lavender and crimson to pale orange. Present year-round, these corals are especially vibrant during high-current days. Divers exploring Samae San dive sites or completing buoyancy training with a Pattaya PADI dive center will encounter soft corals on nearly every route of this reef system, making them a highlight of Pattaya scuba diving. - Behavior at the Reef
Though stationary, soft corals are biologically active filter feeders. Their polyps extend outward in gentle waves to collect plankton from the passing current. At Koh Rong Nang, they respond to the tidal shifts, appearing fully extended and “fluffy” when the current is strong, and retracted during slack water. They provide critical habitat for crustaceans, reef fish, and macro species such as nudibranchs and gobies. - Photography Tips
Use a wide-angle lens for reefscape shots or a macro lens for capturing polyp textures and resident creatures. Early morning dives offer side lighting that enhances their translucency. The varied terrain of Koh Rong Nang dive site Pattaya allows photographers to frame soft corals from multiple angles, especially during Thailand scuba diving’s dry season when visibility is clearest. - Why This Site Attracts Them
Soft corals flourish in nutrient-rich, moderately flowing water—conditions that Koh Rong Nang consistently provides. Unlike sites focused on Pattaya wreck diving, where metal structures dominate, this natural reef’s boulder slopes and water movement create an ideal substrate and flow profile. It’s a flagship soft coral destination within the broader network of Samae San dive sites. - Conservation or Ecological Note
Soft corals are fragile and prone to damage from fin kicks, anchor drops, and careless diver contact. They do not form limestone skeletons like hard corals, making them more vulnerable to physical impact. Their abundance at Koh Rong Nang signals a relatively undisturbed ecosystem—one that benefits greatly from respectful diver behavior promoted throughout Pattaya scuba diving operations. - Fun Fact or Trivia
Soft corals don’t build reefs, but they do play a major role in reef biodiversity. Some even glow under UV light during night dives. Their swaying, tree-like forms are not just beautiful—they are microhabitats for dozens of species. For many divers, the moment the reef “comes alive” with soft coral motion defines the magic of this Ultimate Guide to Koh Rong Nang Dive Site Pattaya.



Nudibranchs – The Tiny Jewels of Koh Rong Nang Dive Site Pattaya
- Species Identification
Common Name: Nudibranch (Sea Slug)
Scientific Name: Various species, including Phyllidia varicosa, Hypselodoris bullocki, Chromodoris lochi, Jorunna funebris - How Often Can You See Them
Nudibranchs are frequently observed at the Koh Rong Nang dive site Pattaya, especially by macro-focused divers exploring sponge-covered reef zones and shaded ledges. Their size and camouflage make them easy to miss unless you’re moving slowly. Many divers exploring Samae San dive sites or completing underwater naturalist or macro electives with a Pattaya PADI dive center report spotting multiple species in a single dive—especially in cooler months. - Behavior at the Reef
These colorful, shell-less gastropods crawl along reef surfaces feeding on sponges, tunicates, and hydroids. At Koh Rong Nang, they are most often found near soft corals, on the underside of overhangs, or atop barrel sponges. Some are solitary hunters, while others appear in pairs during mating. They are slow and highly photogenic, ideal for calm, detailed observation. - Photography Tips
Use a macro lens (90–105mm) and light from the side to highlight their texture and rhinophores. Maintain neutral buoyancy to avoid disturbing the substrate. The structure of Koh Rong Nang dive site Pattaya—especially its calm reef pockets—makes it an ideal place to capture nudibranchs in sharp detail, particularly for Thailand scuba diving photographers looking to expand their macro portfolio. - Why This Site Attracts Them
Koh Rong Nang offers a stable, sponge-rich environment with low diver traffic, allowing nudibranch prey populations to flourish. The nutrient flow and mixed coral-sponge zones are optimal for a range of nudibranch species. Unlike sediment-heavy Pattaya wreck diving sites, this reef offers firm, clean surfaces that attract both crawling and stationary species—making it a hotspot in the Samae San dive sites region. - Conservation or Ecological Note
Nudibranchs are considered bioindicators of reef health because they are highly sensitive to pollution and reef degradation. Their presence in large numbers at Koh Rong Nang signals a balanced micro-ecosystem. Divers should avoid touching or hovering too close, as even exhaust bubbles can disturb their behavior or feeding. - Fun Fact or Trivia
Some nudibranchs can absorb and reuse the stinging cells (nematocysts) of their prey as a defense mechanism. Others display bright colors not just for beauty, but as a warning to predators. Spotting one on a dive is a small but thrilling reward—a moment often mentioned by divers in the Ultimate Guide to Koh Rong Nang Dive Site Pattaya, and a favorite find in Pattaya scuba diving circles.
Site Topography & Dive Route – Ultimate Guide to Koh Rong Nang Dive Site Pattaya
The Ultimate Guide to Koh Rong Nang Dive Site Pattaya wouldn’t be complete without a detailed understanding of the reef’s physical layout. Tucked into the eastern cluster of Samae San dive sites, Koh Rong Nang offers a rugged, current-fed environment well suited to adventurous divers seeking both marine diversity and topographical variety. Its terrain is shaped by dramatic coral-covered slopes, sponge-crusted boulders, and nutrient-rich ledges that support some of the most vibrant reef communities in Pattaya scuba diving.
The dive typically begins on the southeast side of the island, where the reef starts around 8–10 meters and gradually slopes to depths exceeding 22 meters at its deepest southern edge. The eastern wall features large granite outcrops and vertical coral faces teeming with soft corals, sea fans, and barrel sponges—an ideal environment for spotting groupers, moray eels, and schooling bannerfish. The steady current here supports extensive filter-feeding activity and occasional pelagic visitors like chevron barracuda or eagle rays.
To the north and northwest, the reef flattens into sand-and-coral zones where divers frequently encounter nudibranchs, shrimp gobies, and even juvenile turtles. These gentler sections are perfect for practicing buoyancy control or macro photography, particularly for divers training with a Pattaya PADI dive center. Most dive routes follow a sloping zigzag or U-shaped pattern, allowing divers to explore both the wall and plateau zones without ascending too early.
Compared to more sheltered sites or heavily trafficked Pattaya wreck diving areas, Koh Rong Nang presents a more natural and open layout that rewards slow, observant movement. Its mix of reef structure, depth range, and visibility makes it one of the most compelling environments for Thailand scuba diving—whether you’re a seasoned explorer or advancing your skills one controlled descent at a time.
Dive Conditions – Ultimate Guide to Koh Rong Nang Dive Site Pattaya
Dive conditions at the Koh Rong Nang dive site Pattaya are ideal for experienced divers looking for moderate challenge, vibrant marine life, and dynamic terrain. As part of the deeper Samae San dive sites network, Koh Rong Nang is best known for its steady currents and excellent water clarity during the dry season. These conditions make it particularly attractive for drift diving, advanced training, and exploration-focused Pattaya scuba diving experiences.
Depths at Koh Rong Nang typically range from 10 to 22 meters, with gradual slopes on the northern end and deeper drop-offs along the southern and eastern sides. Visibility averages 8–15 meters, occasionally exceeding that during the November to February window when Thailand scuba diving conditions are at their clearest. Water temperatures remain stable year-round, between 28–30°C, making it comfortable with only a 3mm wetsuit. Occasional thermoclines around 18–20 meters are possible, especially in transitional months.
Currents at Koh Rong Nang range from mild to moderately strong, usually flowing east to west. These currents bring nutrient flow that fuels the reef and supports filter feeders like sea fans and soft corals. Slack tide offers calmer conditions for macro work or less experienced divers. Because of its consistent profile and defined reef boundaries, Koh Rong Nang is often used by Pattaya PADI dive center instructors for drift training or advanced certification modules.
Unlike shallow training areas or surge-prone Pattaya wreck diving locations, Koh Rong Nang offers a balance of manageable challenge and ecological richness. Its current-fed walls, sandy plateaus, and consistent water quality make it one of the most engaging and rewarding dive sites for both adventure seekers and skilled divers progressing within the Thailand scuba diving scene.
Dive Beyond Koh Rong Nang – Explore the Full Range of Pattaya and Samae San Dive Sites
The Ultimate Guide to Koh Rong Nang Dive Site Pattaya introduces you to one of the most dynamic and reef-rich sites in the Eastern Gulf—but it’s only one stop on a coastline filled with dive adventures. After exploring the soft coral slopes, stingray encounters, and macro biodiversity at Koh Rong Nang, divers are encouraged to expand their horizons across the broader network of Pattaya scuba diving and Samae San dive sites.
From calm coral gardens perfect for PADI certifications to technical wrecks and current-swept pinnacles, this region showcases the full range of Thailand scuba diving. Whether you’re just starting out with your open water license or racking up dives as a macro photographer or drift enthusiast, the dive sites below offer something for every experience level and underwater goal.
Pattaya Dive Sites
- Koh Sak
A compact near-island site shaped like a horseshoe. Popular for macro life, buoyancy practice, and beginner fun dives. - Koh Larn
The largest island in Pattaya, offering multiple dive spots with gentle reef contours. Great for Open Water and Advanced students. - Koh Krok
An off-the-radar gem with coral ridges and resident turtles. Favored for relaxed reef dives away from the crowd. - Koh Nok
Known for seahorse sightings and soft coral growth. A calm site ideal for practicing macro skills and earning PADI certifications. - Koh Phai (Bamboo Island)
Located in the Far Islands group, it features deep reef profiles and better visibility—suitable for intermediate divers seeking coral diversity. - Koh Rin
A current-influenced site with large boulders, pelagics, and strong reef slopes. Best for certified divers looking for action. - HTMS Khram Wreck
A deep artificial reef resting at 30 meters. Great for wreck diving courses and intermediate to advanced profiles. - HTMS Kut Wreck
A smaller, shallower wreck ideal for beginner wreck divers and photo training. - HTMS Mataphon Wreck
Often used for underwater navigation or buoyancy courses. Loaded with macro life. - Bremen Wreck
A deep, technical dive for those with advanced or tech certifications. Strong currents and limited access make it exclusive.
Samae San Dive Sites
- HTMS Hardeep (SS Suddhadib)
Arguably Thailand’s most iconic wreck. Strong currents, abundant fish, and deep penetration routes challenge even experienced divers. - T94 and T95 Wrecks
Side-by-side torpedo boats rich in macro life. A favorite for nudibranch hunters and sponge photographers. - Koh Chuang
Noted for seasonal cuttlefish, soft coral fields, and calm navigation-friendly terrain. - Koh Chan
A gentle sloping reef perfect for new divers and macro fans. Ideal for PADI course progression and slow-paced exploration. - Koh Rong Nang
Known for large granite formations, reef slope transitions, and excellent conditions for drift dives and marine life observation. - Shark Fin Rock (Hin Lak Bat)
A submerged pinnacle offering thrilling pelagic encounters. High-current and advanced certification required.
Koh Rong Nang is an unforgettable starting point, but it’s far from the only highlight. Whether you’re drawn to the calm reefs of beginner-friendly sites or the adrenaline of advanced wrecks, the broader ecosystem of Pattaya scuba diving and Samae San dive sites ensures that every dive log tells a new story. From perfecting your skills through PADI certifications to chasing elusive macro species, this region is a masterclass in what makes Thailand scuba diving world-class.
FAQs – Ultimate Guide to Koh Rong Nang Dive Site Pattaya
Is Koh Rong Nang suitable for beginner divers?
Koh Rong Nang is best suited for intermediate and advanced divers due to its moderate currents and deeper reef slopes. While Open Water divers can enjoy certain calm areas, the site is especially rewarding for those with drift diving experience or pursuing Advanced Open Water or specialty courses through a Pattaya PADI dive center like No Limit Dive.
What marine life can I expect to see at Koh Rong Nang?
Koh Rong Nang dive site Pattaya is rich in biodiversity. Expect sightings of blue-spotted stingrays, groupers, moray eels, parrotfish, nudibranchs, sea turtles (hawksbill and green), scorpionfish, and schooling bannerfish. Macro species and occasional pelagics like eagle rays or chevron barracuda are also possible—making it one of the most exciting Samae San dive sites.
What is the visibility like at Koh Rong Nang?
Visibility typically ranges from 8 to 15 meters. During Thailand scuba diving’s dry season (November–February), visibility is at its best, making Koh Rong Nang an excellent destination for underwater photography and drift dives.
What depth range does the site cover?
Koh Rong Nang features a sloping reef profile that ranges from 10 meters to over 22 meters in depth. The site’s structure supports multi-level dives with long bottom times and smooth transitions from reef walls to sandy flats.
Are there strong currents at Koh Rong Nang?
Currents at Koh Rong Nang range from mild to moderately strong depending on the tide. It’s one of the more current-influenced Pattaya scuba diving sites, which makes it a good location for drift training and advanced exploration—but guided dives are strongly recommended for safety and enjoyment.
Can I complete PADI certifications at Koh Rong Nang?
Yes, Advanced Open Water and specialty certifications such as Drift Diver, Fish Identification, or Peak Performance Buoyancy can be conducted at Koh Rong Nang. No Limit Dive Center frequently uses the site for practical training in real current conditions as part of its Pattaya PADI dive center programs.
What makes Koh Rong Nang different from other Samae San dive sites?
Koh Rong Nang stands out for its granite boulder formations, soft coral gardens, and excellent blend of macro and mid-sized marine life. It offers a deeper, more textured dive experience compared to flatter sites like Koh Chan or sandy shallows near Koh Nok. It’s also less trafficked, which improves both marine life encounters and overall dive quality.
Is the site good for underwater photography?
Absolutely. With its sponge-covered rocks, colorful soft corals, and resident species like nudibranchs, boxfish, and gobies, Koh Rong Nang dive site Pattaya is a favorite among macro photographers. Wide-angle photographers can also capture dramatic reef architecture, schooling bannerfish, and sea fans in motion.
Why dive Koh Rong Nang with No Limit Dive Center?
No Limit Dive is a performance-first Pattaya PADI dive center known for its small groups, experienced instructors, and a deep commitment to safety, marine conservation, and site-specific training. We tailor each dive to your goals—whether you’re here for certification, macro photography, or just an unforgettable dive at one of the best sites in Thailand scuba diving. With our expert guides, you won’t just dive—you’ll explore.
Certifications Required – Ultimate Guide to Koh Rong Nang Dive Site Pattaya
PADI (Professional Association of Diving Instructors) is the world’s leading scuba diving certification agency, offering a globally recognized system for learning and progressing through recreational and professional scuba diving. Whether you’re stepping into the water for the first time or developing advanced dive leadership skills, the PADI system supports every level—and Koh Rong Nang dive site Pattaya is a fantastic environment for applying that training in the real world.
PADI Discover Scuba Diving (also known as “Try Diving”) —first-time divers who want to experience scuba diving under direct instructor supervision—can safely dive the shallower northern sections of Koh Rong Nang during calm conditions. While not a full certification, this program introduces participants to breathing underwater and exploring the reef in a controlled, exciting way.
PADI Open Water Divers will find the site’s sloped reef and sandy plateaus perfect for multi-level dives, buoyancy control, and marine life awareness. The site’s varied terrain also makes it a favorite location for completing the PADI Advanced Open Water Diver course, particularly the Drift, Navigation, and Fish Identification dives. With moderate currents and excellent visibility during the dry season, Koh Rong Nang offers real challenge without overwhelming newer divers.
For professionals, PADI Divemaster and PADI Instructor candidates often use Koh Rong Nang as a real-world training ground. The site is ideal for practicing mapping, conducting briefings, leading drift dives, and demonstrating advanced-level skills with real current, depth transitions, and open reef management scenarios. Many instructors-in-training from Pattaya PADI dive centers choose this site for its diversity and logistical accessibility.
In summary, Koh Rong Nang supports nearly every level of PADI training—from first breath to first class taught—making it a key stop on the map for Pattaya scuba diving education and skill development.
Final Thoughts – Ultimate Guide to Koh Rong Nang Dive Site Pattaya
The Ultimate Guide to Koh Rong Nang Dive Site Pattaya has highlighted why this site continues to captivate divers across the region. With its sloping granite reefs, soft coral gardens, mid-level pelagics, and macro treasures, Koh Rong Nang offers a uniquely balanced dive experience. It stands out among Samae San dive sites for its raw beauty, moderate currents, and diverse terrain that suits both exploration and skill development within the broader world of Pattaya scuba diving.
Whether you’re drifting through sponge-lined channels as part of your Advanced Open Water dives, fine-tuning your buoyancy while photographing nudibranchs, or leading mapping exercises as a PADI Divemaster candidate, Koh Rong Nang delivers a dive that feels both dynamic and personal. It’s a place where learning, adventure, and ecological appreciation intersect—perfect for divers seeking more than just another dive log entry in their Thailand scuba diving journey.
If you’re ready to experience Koh Ron Nang for yourself, contact No Limit Dive Center to book your dive day. Or, explore more about scuba diving in Pattaya and shipwreck diving opportunities across the region. Whether you’re planning a single dive or a full training journey, your next adventure starts here.