Discover the Ultimate Guide to Koh Phai Dive Site Pattaya
Tucked away in the Far Islands chain, Koh Phai—also known as Bamboo Island—is a hidden gem for anyone passionate about Pattaya scuba diving. As the largest island in this offshore group, it delivers an unforgettable blend of lush coral reefs, sloping sand channels, and towering rock formations teeming with life. This Ultimate Guide to Koh Phai Dive Site Pattaya reveals everything you need to explore its full potential—whether you’re visiting for fun, training, or underwater photography.
Unlike the more frequented Near Island sites, Koh Phai offers a quieter, more pristine environment with deeper dive profiles and fewer crowds. The island’s protected western bay is ideal for skill-building and Pattaya dive courses, while its eastern and southern edges offer exciting drift routes and occasional sightings of pelagics—earning it a top spot for Far Islands Pattaya diving adventures.
If you’re looking to explore Pattaya wreck diving, you’ll also find the iconic HTMS Khram just offshore—an artificial reef now home to schools of snappers, barracuda, and lionfish. Combined with the island’s rich coral systems and frequent macro sightings, Koh Phai provides one of the most complete diving experiences in the Gulf of Thailand.
Whether you’re planning a full dive day or adding this to a broader itinerary of scuba diving Pattaya, the Ultimate Guide to Koh Phai Dive Site Pattaya gives you a complete breakdown—from dive planning and conditions to marine life and safety tips.

Why Explore the Koh Phai Dive Site Pattaya?
The Koh Phai dive site Pattaya offers one of the most complete diving experiences in Thailand’s Eastern Gulf—where pristine coral gardens, deep-water ledges, and historical wrecks combine to deliver unmatched variety. Located about 60–90 minutes offshore, this rugged island—also known as Bamboo Island Pattaya—stands out among the Far Islands for its raw beauty and ecological richness. The Ultimate Guide to Koh Phai Dive Site Pattaya was created to showcase everything this exceptional site has to offer.
Spanning depths from 3 to over 26 meters, Koh Phai supports everything from shallow reef training to deeper exploratory dives. Its western bay provides calm conditions ideal for buoyancy work and Pattaya dive courses, while the more exposed southern and eastern slopes offer exciting drift diving with regular pelagic sightings. These varied underwater landscapes make Koh Phai a versatile destination for all certification levels.
A major draw for divers seeking the best of Pattaya scuba diving is the HTMS Khram wreck—a fully intact naval vessel resting just east of the island. Now colonized by soft corals and home to schooling fish, it adds a thrilling element to Pattaya wreck diving. But even outside the wreck, the island’s reefs burst with marine life—from nudibranchs and ghost pipefish to fusiliers, groupers, and the occasional turtle cruising by.
For those looking to escape the crowds and explore deeper into Far Islands Pattaya diving territory, Koh Phai is both accessible and rewarding. With fewer dive boats and larger, healthier coral zones, it delivers the kind of experience that many divers seek but rarely find near the mainland.
Whether you’re just getting started with scuba diving Pattaya or planning your next advanced dive adventure, the Ultimate Guide to Koh Phai Dive Site Pattaya shows why this site is consistently rated among the top dive locations in the region.
Marine Life at Koh Phai Dive Site Pattaya
The Ultimate Guide to Koh Phai Dive Site Pattaya wouldn’t be complete without a deep dive into the astonishing biodiversity that defines this Far Islands destination. As one of the largest and least crowded sites in the area, Koh Phai has become a magnet for marine life—making it a standout for Pattaya scuba diving enthusiasts, macro photographers, and anyone seeking memorable underwater encounters.
Stretching from shallow coral flats to deep reef walls, the island’s ecosystems are home to a colorful array of species. Divers frequently spot parrotfish, butterflyfish, snappers, and fusiliers darting across the reef, while blue-spotted stingrays and flounders patrol the sandy bottom. For those interested in Pattaya marine life, Koh Phai offers frequent sightings of nudibranchs, ghost pipefish, lionfish, moray eels, and even resident sea turtles. The occasional sighting of blacktip reef sharks or bamboo sharks adds a thrilling surprise for more advanced explorers.
For macro hunters and divers enrolled in Pattaya dive courses, the island’s sloping reefs and sponge-encrusted bommies provide the perfect canvas. Ornate crabs, decorator shrimp, and seahorses are regularly recorded here—often hidden among feather stars and gorgonians. The nearby HTMS Khram wreck further enhances the site’s appeal, attracting schools of jacks and barracuda and offering a dramatic backdrop for Pattaya wreck diving.
Koh Phai is especially prized within the Far Islands Pattaya diving scene for its stable visibility and expansive reef systems. Its mix of depth and biodiversity make it a training ground, photo studio, and exploration site all in one—ideal for divers at every stage.
Whether you’re just beginning your journey into scuba diving Pattaya or already planning your next photo dive, the Ultimate Guide to Koh Phai Dive Site Pattaya shows why this island remains one of the richest and most rewarding dive sites in the Gulf of Thailand.



Hawksbill Turtles – The Iconic Residents of Koh Phai Dive Site Pattaya
1. Species Identification
Common Name: Hawksbill Turtle
Scientific Name: Eretmochelys imbricata
2. How Often Can You See Them
Hawksbill turtles are regularly encountered at the Koh Phai dive site Pattaya, especially along the sloping coral ridges and sheltered western reefs. These gentle reptiles are often spotted during late-morning dives, gliding gracefully through the clear waters or resting among bommies. Many instructors and photographers involved in Pattaya scuba diving consider them a highlight of any Far Islands Pattaya diving trip, particularly during the dry season when visibility is at its best.
3. Behavior at the Reef
These turtles are solitary, slow-moving, and calm around divers. At Koh Phai, they are frequently seen foraging for sponges among the coral heads or napping beneath rocky ledges. Their consistent routines and relaxed nature make them an ideal subject for students in Pattaya dive courses as well as seasoned divers exploring the island’s reef systems.
4. Photography Tips
Use a wide-angle lens and get low to frame the turtle against the reef or open water above. Patience is key—let the turtle come to you. Koh Phai’s solid visibility and spacious reef zones make it easier to isolate your subject. For scuba diving Pattaya photographers, especially those focusing on marine megafauna, the hawksbill turtle is a prized shot.
5. Why This Site Attracts Them
The abundance of soft corals, low diver traffic, and stable reef conditions around Koh Phai make it a perfect haven for hawksbill turtles. Compared to other Pattaya wreck diving sites or crowded reefs, Koh Phai offers a quieter, food-rich environment that keeps these turtles coming back. It’s one of the many reasons the Ultimate Guide to Koh Phai Dive Site Pattaya highlights this island as a marine life hotspot.
6. Conservation or Ecological Note
Hawksbill turtles are critically endangered and highly sensitive to human disturbance. Divers should never approach too closely or attempt to interact. Their presence here is a sign of reef health and balanced ecosystems—something all responsible scuba diving in Thailand should aim to protect.
7. Fun Fact or Trivia
The hawksbill’s beak-like mouth is specially adapted to eat sponges that few other species can digest. Once hunted heavily for its ornate shell, this turtle is now protected worldwide. Seeing one at the Koh Phai dive site Pattaya is more than just a memorable moment—it’s a symbol of hope for Pattaya marine life.
Parrotfish – The Reef Sculptors of Koh Phai Dive Site Pattaya
1. Species Identification
Common Name: Parrotfish
Scientific Name: Multiple species, including Scarus and Chlorurus genera
2. How Often Can You See Them
Parrotfish are among the most consistently observed residents at the Koh Phai dive site Pattaya. Found on nearly every reef slope and coral shelf, their rainbow-colored scales and beak-like mouths make them easy to spot. Whether you’re participating in Pattaya dive courses or enjoying a relaxed fun dive, these energetic herbivores are a guaranteed sight during any Far Islands Pattaya diving excursion.
3. Behavior at the Reef
Parrotfish play a vital ecological role—grazing on algae and dead coral to keep the reef clean. At Koh Phai, they’re most active in the morning, moving in loose schools along the shallow reef flats. Their crunching can sometimes even be heard underwater. During scuba diving Pattaya trips to this site, you’ll often notice them retreating into crevices when startled, only to emerge minutes later to resume grazing.
4. Photography Tips
Their vivid coloration makes parrotfish a vibrant subject—but they rarely stay still. Use a mid-range lens (35–50mm equivalent) and set up your shot near coral heads where they feed. Koh Phai’s clear visibility enhances your chances of getting crisp action shots, especially during sunny morning dives. The Ultimate Guide to Koh Phai Dive Site Pattaya recommends avoiding direct strobe flashes, as they may spook these fast-moving grazers.
5. Why This Site Attracts Them
The expansive coral gardens and abundant algae growth at Koh Phai make it a perfect habitat for parrotfish. With reduced diver traffic compared to Pattaya wreck diving sites and rich reef zones stretching along the west and south bays, the island provides all the foraging space these fish need.
6. Conservation or Ecological Note
Parrotfish are critical to coral reef health, yet they are often overfished in other parts of the world. Their strong presence at Koh Phai is a sign of a balanced ecosystem. Divers should avoid chasing or cornering them to allow these reef caretakers to do their job uninterrupted—especially important for anyone passionate about sustainable scuba diving in Thailand.
7. Fun Fact or Trivia
Parrotfish poop sand! They grind coral with their beaks, digest the algae, and excrete fine sand—producing up to 90 kg per fish each year. The beautiful white sand beaches around Koh Phai may actually owe some of their existence to this colorful reef architect. Another reason why the Koh Phai dive site Pattaya is not just beautiful—but biologically fascinating.
Wrasse – The Colorful Cleaners of Koh Phai Dive Site Pattaya
1. Species Identification
Common Name: Wrasse
Scientific Name: Multiple species including Thalassoma lunare (moon wrasse), Cheilinus trilobatus (tripletail wrasse), and Labroides dimidiatus (cleaner wrasse)
2. How Often Can You See Them
Wrasse are a constant presence at the Koh Phai dive site Pattaya. Whether darting through coral heads or hovering around cleaning stations, these fast-moving fish are encountered on nearly every dive. Divers enrolled in Pattaya dive courses or simply enjoying a relaxed trip with a fun diving Pattaya operator can expect to see them at both shallow and mid-depth reefs. Their movement patterns and colors make them easy to spot—even for first-timers exploring Far Islands Pattaya diving locations.
3. Behavior at the Reef
Wrasse are incredibly diverse, both in appearance and behavior. The smaller species like cleaner wrasse set up stations where larger fish line up to be cleaned of parasites, while larger species like the moon wrasse zip around the reef in search of food. At Koh Phai, wrasse often work the coral slopes in pairs or small groups, particularly active during early-morning dives. It’s one of the best places for observing natural reef cleaning behavior within the Pattaya marine life spectrum.
4. Photography Tips
These fish are agile and rarely pause, so patience and timing are key. Use a mid-range zoom or even a GoPro for behavior shots near cleaning stations. If you’re into underwater photography while scuba diving Pattaya, position yourself down-current and wait quietly—the wrasse will come to you. Avoid fast movements or aggressive lighting. As noted in the Ultimate Guide to Koh Phai Dive Site Pattaya, early daylight offers the best lighting for catching their iridescent colors.
5. Why This Site Attracts Them
Koh Phai’s mix of coral diversity, low diver density, and thriving reef structure makes it ideal for wrasse. The reef here provides plenty of crevices for nesting, feeding grounds rich in invertebrates, and safe zones for their cleaning behavior. Unlike the busier Pattaya wreck diving sites, Koh Phai’s natural reefs remain undisturbed and rich with biological interactions.
6. Conservation or Ecological Note
Wrasse play a vital role in reef ecosystems by controlling parasites and algae growth. Their cleaning behavior supports the health of other species like groupers and snappers. For scuba diving in Thailand to remain ecologically sustainable, divers should observe wrasse without interference—especially around cleaning stations.
7. Fun Fact or Trivia
Many wrasse are protogynous hermaphrodites—they begin life as females and can later change to males. Some even alter their colors dramatically as they mature. This biological flexibility adds a fascinating layer to your dive at the Koh Phai dive site Pattaya, where you’re not just watching fish—you’re watching evolution in action.
Butterflyfish – The Bright Ballerinas of Koh Phai Dive Site Pattaya
1. Species Identification
Common Name: Butterflyfish
Scientific Name: Various species including Chaetodon auriga (Threadfin), Chaetodon kleinii (Sunburst), and Chaetodon vagabundus (Vagabond)
2. How Often Can You See Them
Butterflyfish are one of the most frequently sighted species at Koh Phai, fluttering gracefully in pairs or small groups along coral ridges. Whether you’re diving during the early morning or mid-afternoon, their constant movement across reef walls makes them a familiar companion throughout the Koh Phai dive site Pattaya. They’re especially common on the western reef slopes and near the coral terraces, where visibility is often best.
3. Behavior at the Reef
These fish are known for their close pair bonds and synchronized swimming. At Koh Phai, they tend to cruise between coral heads, feeding on small invertebrates and coral polyps. Many dive instructors leading Pattaya dive courses use their behavior as an example of reef harmony. You’ll often see them darting quickly into crevices if approached too closely, so calm movement is essential when observing them.
4. Photography Tips
Butterflyfish make excellent subjects for wide-angle reef photography. Since they’re active and move in shallow depths, you can rely on natural light for daytime shots. If you’re interested in capturing vivid reef scenes while fun diving Pattaya, try to shoot at a slight angle from below, using the reef or surface light to frame their silhouette.
5. Why This Site Attracts Them
Koh Phai’s diverse coral ecosystem offers perfect conditions for butterflyfish—ample food, minimal boat traffic, and large coral fields with healthy coverage. Compared to the busier Pattaya wreck diving areas, this site offers calmer conditions ideal for schooling reef fish like butterflyfish, tangs, and damselfish.
6. Conservation or Ecological Note
Butterflyfish are sensitive to coral bleaching and reef degradation, making them indicators of reef health. Their presence across multiple reef zones at Koh Phai signals the site’s ecological stability and makes it a key location for anyone documenting Pattaya marine life diversity.
7. Fun Fact or Trivia
Many butterflyfish species are monogamous and stay with the same mate for life. Their colorful patterns aren’t just beautiful—they also serve as camouflage and distraction from predators. Watching them weave through the reef is one of the simple pleasures of scuba diving in Thailand, and they never fail to charm both novice and veteran divers alike.
Angelfish – The Regal Swimmers of Koh Phai Dive Site Pattaya
1. Species Identification
Common Name: Angelfish
Scientific Name: Commonly encountered species include Pomacanthus semicirculatus (Semicircle Angelfish), Pomacanthus imperator (Emperor Angelfish), and Centropyge vrolikii (Pearlscale Angelfish)
2. How Often Can You See Them
Angelfish are a regular highlight at the Koh Phai dive site Pattaya, particularly around the deeper coral ridges and sponge-covered bommies near the southern slopes. These elegant, slow-moving fish glide in and out of crevices, often alone or in loose pairs, and are seen on nearly every dive throughout the year. Their ornate patterns and relaxed swimming make them a diver favorite, especially on calm morning dives.
3. Behavior at the Reef
Solitary and territorial, angelfish prefer quiet zones within the reef where they can graze on sponges and algae. At Koh Phai, they tend to stick close to coral outcrops and are frequently seen near cleaning stations shared with wrasse and tangs. Their presence in multiple zones—especially where coral cover is high—makes them a useful species for dive briefings and fish ID during Pattaya dive courses.
4. Photography Tips
Angelfish are surprisingly cooperative if approached slowly. Use a mid-range lens and angle your shot to capture their full profile, which shows off their distinctive shape and color bands. When scuba diving in Thailand, few fish offer better portrait opportunities in natural light—especially in the clear, open reef zones of Koh Phai.
5. Why This Site Attracts Them
The sponge-rich reef slopes at Koh Phai provide perfect feeding grounds for angelfish. The site’s protection from strong currents and its low diver density compared to Pattaya wreck diving areas give these sensitive reef dwellers space to thrive. It’s one of the reasons Far Islands Pattaya diving is so often recommended to photographers and fish behavior enthusiasts.
6. Conservation or Ecological Note
Angelfish are sensitive to changes in water quality and reef structure. Their consistent appearance across the reef zones of Koh Phai suggests a healthy, functioning ecosystem. Responsible fun diving Pattaya operators often emphasize the importance of not disturbing these fish, as they are territorial and easily stressed.
7. Fun Fact or Trivia
Juvenile angelfish often look completely different from adults—featuring bold stripes and entirely different coloration. Some species even change gender as they mature. For marine life lovers, seeing both juvenile and adult angelfish at the same site adds another layer of excitement to every dive at Koh Phai.



Damselfish – The Reef Guardians of Koh Phai Dive Site Pattaya
1. Species Identification
Common Name: Damselfish
Scientific Name: Includes Dascyllus aruanus (Three-Stripe Damselfish), Chromis viridis (Blue-Green Chromis), and Abudefduf vaigiensis (Sergeant Major)
2. How Often Can You See Them
Damselfish are among the most abundant residents of the Koh Phai dive site Pattaya. Seen in nearly every zone—from shallow coral gardens to mid-depth bommies—they’re often the first fish you’ll spot after descending. Their high visibility makes them a key species in Pattaya dive courses, especially for students practicing buoyancy near coral heads.
3. Behavior at the Reef
These small, territorial fish are known for fiercely guarding their chosen coral or rock. At Koh Phai, you’ll often see them darting in and out of branching corals or hovering over their “patch” of reef. Blue-green chromis, in contrast, form shimmering schools above the reef, creating beautiful midwater movement that adds color to any Far Islands Pattaya diving experience.
4. Photography Tips
For solitary damselfish, use a macro or mid-range lens and approach slowly—some will face off with your lens! For chromis schools, go wide and capture the reef in the background for scale. Lighting is best in the morning, when visibility is strongest. These shots are popular among those documenting Pattaya marine life due to the vibrant contrast and reef context.
5. Why This Site Attracts Them
Koh Phai offers ideal habitat: rich coral cover, minimal current in the bays, and low diver pressure compared to busier areas of Pattaya wreck diving. These conditions support stable damselfish colonies and high reproductive success. Their abundance is a sign of reef resilience and good coral growth.
6. Conservation or Ecological Note
Damselfish help maintain coral ecosystems by weeding algae and defending key coral patches from overgrowth. Their presence across all depth zones makes them excellent indicators for reef health monitoring—something responsible fun diving Pattaya instructors often explain during eco briefings.
7. Fun Fact or Trivia
Some damselfish “farm” their own algae gardens—chasing away other herbivores to protect their crops. They may be small, but they’re aggressive defenders of their space, and their behavior adds drama and interest to every dive while scuba diving in Thailand. Watching one stand its ground against a fish ten times its size is always a moment to remember.
Rabbitfish – The Shy Gardeners of Koh Phai Dive Site Pattaya
1. Species Identification
Common Name: Rabbitfish
Scientific Name: Common species include Siganus vulpinus (Foxface Rabbitfish) and Siganus lineatus (Goldlined Rabbitfish)
2. How Often Can You See Them
Rabbitfish are regularly spotted at the Koh Phai dive site Pattaya, often in small pairs or loose groups cruising over algae-covered reef flats. Their subtle patterns and cautious movement make them less flashy than angelfish or butterflyfish, but they are one of the reef’s most reliable herbivores. For those exploring Far Islands Pattaya diving, rabbitfish sightings are a dependable part of the mid-reef experience, especially in the western and southern zones.
3. Behavior at the Reef
Typically shy and non-aggressive, rabbitfish graze on algae growing on rocks, dead coral, and reef ledges. At Koh Phai, they tend to move slowly along the slope, pausing to nibble at the substrate before darting into cover when approached. While often overlooked during fun diving Pattaya excursions, their role in controlling algae growth is crucial for coral health.
4. Photography Tips
Because rabbitfish are cautious and fast to hide, it’s best to observe them from a distance using a zoom lens or mid-range setup. Look for them near boulder formations or in sheltered reef corners. Soft natural light helps reveal their intricate line patterns without startling them—ideal for anyone interested in reef detail shots during scuba diving in Thailand.
5. Why This Site Attracts Them
Koh Phai’s calm bays and expansive algae growth zones make it an ideal habitat for rabbitfish. The reduced diver traffic compared to Pattaya wreck diving sites gives them space to graze freely. Add in the island’s well-developed reef structure and it’s no surprise these herbivores thrive here year-round.
6. Conservation or Ecological Note
Rabbitfish are essential for reef maintenance, often working alongside parrotfish to keep algae levels in check. Their decline in overfished areas has been linked to coral overgrowth and reef degradation. At Koh Phai, their steady presence reflects a balanced ecosystem—something instructors often emphasize during Pattaya dive courses with an environmental focus.
7. Fun Fact or Trivia
Despite their gentle nature, rabbitfish are equipped with venomous spines along their dorsal fins—making them one of the few venomous herbivores on the reef. While harmless if left undisturbed, this defense makes them a fascinating and unique part of Pattaya marine life.






Snappers – The Schooling Shadows of Koh Phai Dive Site Pattaya
1. Species Identification
Common Name: Snappers
Scientific Name: Common species include Lutjanus kasmira (Blue-lined Snapper), Lutjanus argentimaculatus (Mangrove Snapper), and Lutjanus bohar (Two-spot Red Snapper)
2. How Often Can You See Them
Snappers are frequently seen in large schools at the Koh Phai dive site Pattaya, especially near reef drop-offs and around the HTMS Khram wreck. During morning dives, it’s not uncommon to encounter hundreds moving in synchronized patterns—particularly in deeper sections between 16 and 26 meters. For anyone exploring Far Islands Pattaya diving, these schools are a defining visual feature of the site.
3. Behavior at the Reef
Known for their tight schooling behavior, snappers often congregate over ledges, wrecks, or coral channels. At Koh Phai, they hover calmly in midwater before occasionally darting away in bursts. Their calm yet alert nature makes them ideal subjects for students during Pattaya dive courses and are often pointed out by guides during pre-dive briefings.
4. Photography Tips
Use a wide-angle lens to capture their schooling effect. To avoid spooking the group, approach slowly from below and angle upward to include surface light or reef structures in your composition. Koh Phai’s open swim-throughs and sandy channels offer perfect backdrops for dramatic group shots—making this a favorite scene for anyone fun diving Pattaya with a camera in hand.
5. Why This Site Attracts Them
The mix of natural reef walls and artificial structures like the Khram wreck makes Koh Phai an ideal aggregation point for snappers. Unlike the more turbulent and crowded Pattaya wreck diving areas near the coast, Koh Phai offers deeper, calmer conditions with less diver disturbance—perfect for these mid-sized predators.
6. Conservation or Ecological Note
Snappers are vital reef predators that help regulate populations of smaller reef fish and invertebrates. Their steady populations at Koh Phai indicate a healthy food chain and balanced predator-prey relationships. Divers focused on marine conservation or documenting Pattaya marine life are encouraged to observe but not chase them to maintain their natural schooling behavior.
7. Fun Fact or Trivia
Some snapper species can live for over 50 years and grow surprisingly large. The blue-lined snapper, common at Koh Phai, is famous for its vibrant stripes and the hypnotic way it moves in sync with its school. Seeing them glide past in a silver-and-blue wave is a moment every diver scuba diving in Thailand should experience at least once.
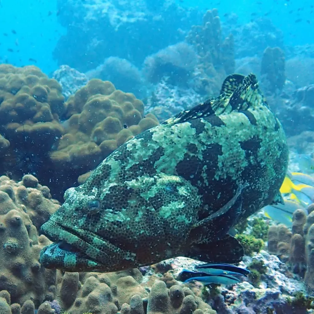
Groupers – The Silent Kings of Koh Phai Dive Site Pattaya
1. Species Identification
Common Name: Groupers
Scientific Name: Common species include Epinephelus merra (Honeycomb Grouper), Epinephelus malabaricus (Malabar Grouper), and Cephalopholis miniata (Coral Grouper)
2. How Often Can You See Them
Groupers are reliably found at the Koh Phai dive site Pattaya, particularly around coral overhangs, deep reef edges, and near the HTMS Khram wreck. While less social than schooling fish, they are a consistent part of most dives, often spotted tucked into ledges or motionless along sandy bottoms. They’re especially common during Far Islands Pattaya diving expeditions, where reefs are quieter and less disturbed.
3. Behavior at the Reef
Territorial and ambush-oriented, groupers tend to hover motionlessly near their shelter before lunging at unsuspecting prey. At Koh Phai, they are often solitary but can be found near cleaning stations shared with wrasse. Their calm posture and camouflage make them fascinating to observe during slower-paced fun diving Pattaya sessions.
4. Photography Tips
Groupers offer excellent macro-to-medium distance photo ops. Use a slow approach and angle your shot to include the environment—like corals or wreck surfaces—where they blend naturally. Their patience gives photographers plenty of time to frame and adjust. For scuba diving in Thailand, Koh Phai is one of the best sites to capture groupers in natural, undisturbed reef scenes.
5. Why This Site Attracts Them
Koh Phai’s mix of natural rock structures and the artificial Khram wreck offers perfect shelter for these reclusive predators. Compared to shallow reefs or congested Pattaya wreck diving locations closer to the mainland, the island’s layout supports both large and juvenile groupers, making it a hotspot for sightings.
6. Conservation or Ecological Note
Groupers are top predators and play a key role in maintaining reef balance. Due to their slow growth and late maturity, they’re highly vulnerable to overfishing. Their steady presence at Koh Phai is a positive sign, and their protection is something highlighted in conservation-focused Pattaya dive courses.
7. Fun Fact or Trivia
Many groupers can change sex during their lifetime, often starting as females and becoming males later on. Their throaty, low-frequency grunts are used to communicate with each other—something you might hear during a quiet moment while observing Pattaya marine life at depth.
Sweetlips – The Polka-Dot Dancers of Koh Phai Dive Site Pattaya
1. Species Identification
Common Name: Sweetlips
Scientific Name: Common species include Plectorhinchus gaterinus (Blackspotted Rubberlip), Plectorhinchus chaetodonoides (Harlequin Sweetlips), and Plectorhinchus lineatus (Striped Sweetlips)
2. How Often Can You See Them
Sweetlips are occasionally encountered at the Koh Phai dive site Pattaya, especially in the deeper reef ledges and along the edges of the HTMS Khram wreck. Juveniles are often spotted near overhangs and coral bommies, performing their distinctive, erratic swimming dance. Sightings become more frequent in the southern and southeastern parts of the reef, making them a visual treat during Far Islands Pattaya diving trips.
3. Behavior at the Reef
Adult sweetlips move slowly and tend to hover in small, loose groups near sheltered zones. Juveniles behave quite differently—darting and wiggling in a rhythmic, wave-like motion believed to mimic poisonous flatworms. These contrasting behaviors make sweetlips a favorite subject for dive instructors and marine life briefings in Pattaya dive courses.
4. Photography Tips
Juveniles are best photographed with a macro or mid-range lens, using a shallow depth of field to isolate them against textured coral backgrounds. Adults work well for wide reef shots, especially when positioned against sponge-covered walls or soft coral gardens. For fun diving Pattaya photographers, patience is key—juveniles rarely sit still.
5. Why This Site Attracts Them
Koh Phai’s complex reef topography—filled with hiding spots, ledges, and low diver traffic—offers the perfect setting for sweetlips to rest and feed. Compared to busier Pattaya wreck diving areas, the peaceful zones around Koh Phai’s deeper slopes allow sweetlips to thrive without frequent disturbance.
6. Conservation or Ecological Note
Sweetlips are sensitive to overfishing and reef degradation. Their presence at Koh Phai is a strong indicator of habitat quality, particularly where juveniles are found. Conservation-conscious scuba diving in Thailand promotes passive observation of these species to avoid disrupting their delicate behaviors.
7. Fun Fact or Trivia
The juvenile Harlequin Sweetlips is famous for its breakdancer-like swim—so erratic and hypnotic that it’s often mistaken for a nudibranch or flatworm. Watching one zigzag between coral heads at the Koh Phai dive site Pattaya is one of those surreal moments divers never forget.
Squirrelfish – The Crimson Nightwatch of Koh Phai Dive Site Pattaya
1. Species Identification
Common Name: Squirrelfish
Scientific Name: Common species include Sargocentron rubrum (Redcoat Squirrelfish) and Holocentrus adscensionis (Longspine Squirrelfish)
2. How Often Can You See Them
Squirrelfish are regularly spotted by divers at the Koh Phai dive site Pattaya, typically hiding under ledges, inside reef caves, or beneath coral shelves during the day. While they’re more active at night, daytime divers can still find them by looking closely in shaded zones—especially near the deeper western reef slopes and the Khram wreck area. They’re often pointed out during Far Islands Pattaya diving briefings as one of the “hidden gems” of the reef.
3. Behavior at the Reef
These nocturnal fish prefer dim environments and are highly photophobic. During daylight hours at Koh Phai, they cluster in small groups beneath coral outcrops, peeking out with their bright red bodies and oversized eyes. As dusk approaches, they begin to roam for food—making them a great subject for more advanced divers or those participating in night-focused Pattaya dive courses.
4. Photography Tips
Look for squirrelfish in crevices and cave-like reef structures. Use a torch or focus light carefully to avoid spooking them. A macro or mid-range lens is ideal for capturing facial detail and texture. Those engaging in fun diving Pattaya will find that low-light reef zones yield the best opportunities for close squirrelfish portraits, especially with soft lighting techniques.
5. Why This Site Attracts Them
The rugged, sponge-covered reef system of Koh Phai provides countless sheltered areas that suit squirrelfish perfectly. Unlike heavily trafficked Pattaya wreck diving spots, Koh Phai offers quiet, intact habitats that support species that prefer low disturbance—making it a go-to site for observing shy reef dwellers.
6. Conservation or Ecological Note
Squirrelfish play a key role in nocturnal reef dynamics, preying on small invertebrates and helping regulate microfauna populations. Their presence across several depth zones at Koh Phai reflects stable, multi-tiered reef health—something every scuba diving in Thailand enthusiast should care about.
7. Fun Fact or Trivia
Squirrelfish communicate using sound—producing low-pitched grunts with their swim bladder and muscles. While you won’t hear them underwater, the knowledge adds a mysterious layer to encountering them at the Koh Phai dive site Pattaya, where the reef holds as much story in its silence as in its color.
Trevally – The Silver Torpedoes of Koh Phai Dive Site Pattaya
1. Species Identification
Common Name: Trevally
Scientific Name: Common species include Caranx ignobilis (Giant Trevally), Caranx melampygus (Bluefin Trevally), and Carangoides ferdau (Blackspot Trevally)
2. How Often Can You See Them
Trevally are not an everyday sight at the Koh Phai dive site Pattaya, but when they show up, it’s unforgettable. These sleek predators often patrol the midwater zones off the eastern and southern reef slopes or hover near the HTMS Khram wreck. Early morning dives during mild current conditions give the highest chances for sightings. If you’re exploring Far Islands Pattaya diving routes with an eye on fast-moving pelagics, keep your eyes on the blue.
3. Behavior at the Reef
Trevally are high-speed hunters, known for cruising in small groups or solitary formations just off the reef edge. At Koh Phai, they often sweep in silently before darting away—chasing fusiliers or smaller reef fish. Their sudden appearance adds a thrilling, open-water energy to otherwise calm reef dives, particularly for those on deeper fun diving Pattaya profiles.
4. Photography Tips
Use a wide-angle setup with fast shutter speeds. These fish move fast and rarely repeat a path, so anticipate rather than react. The best shots often happen just above reef drop-offs or around baitballs. Scuba diving in Thailand doesn’t always offer strong pelagic interaction, but Koh Phai gives you a real chance when the timing and current are right.
5. Why This Site Attracts Them
Koh Phai’s deeper slopes and cleaner water offer excellent hunting grounds for trevally. The wreck and reef edges create natural corridors for baitfish, which draw in predators. Compared to inner Pattaya wreck diving areas, Koh Phai’s distance from the mainland and lower diver density make it more favorable for larger, open-water species.
6. Conservation or Ecological Note
As apex predators, trevally help keep fish populations in check and maintain reef balance. Their occasional visits are a positive ecological sign, showing that the reef still supports multi-tiered food chains. Educators in Pattaya dive courses often point out the importance of preserving pelagic corridors near reef zones like Koh Phai.
7. Fun Fact or Trivia
Giant trevally have been documented working in teams—and even hunting birds in shallow lagoons elsewhere in the Indo-Pacific. While that’s unlikely here, seeing one on the hunt at the Koh Phai dive site Pattaya is a powerful reminder of the speed, strength, and intelligence hidden beneath the surface.
Barracuda – The Stealth Stalkers of Koh Phai Dive Site Pattaya
1. Species Identification
Common Name: Barracuda
Scientific Name: Common species at Koh Phai include Sphyraena jello (Pickhandle Barracuda) and Sphyraena barracuda (Great Barracuda)
2. How Often Can You See Them
Barracuda are an occasional yet dramatic highlight at the Koh Phai dive site Pattaya. Divers often encounter them near the HTMS Khram wreck or cruising just above the reef’s eastern edge, especially on morning dives with clear visibility. While not guaranteed, experienced guides leading Far Islands Pattaya diving trips know where to look—and when one appears, it’s usually a showstopper.
3. Behavior at the Reef
Barracuda are solitary or loosely grouped ambush predators. They often remain motionless in open water, blending in with the blue before striking with lightning speed. At Koh Phai, their stealthy presence above fusilier schools or near baitballs is a classic moment, particularly appreciated during deeper fun diving Pattaya profiles.
4. Photography Tips
You’ll want a wide-angle setup and quick reflexes—barracuda don’t linger. Approach slowly from the side rather than head-on, and avoid using flash unless it’s absolutely necessary. The visibility at Koh Phai helps frame these elongated fish against open water, making them an excellent subject for action photography while scuba diving in Thailand.
5. Why This Site Attracts Them
The drop-offs, scattered baitfish, and lower human activity at Koh Phai make it one of the few Pattaya dive sites where barracuda sightings are realistic. Unlike high-traffic Pattaya wreck diving zones closer to shore, Koh Phai’s deeper, quieter waters offer the conditions these large pelagics prefer.
6. Conservation or Ecological Note
As mid-to-top predators, barracuda help regulate reef fish populations and maintain food chain balance. Their presence at Koh Phai is an indicator of reef integrity. Instructors covering marine ecology during Pattaya dive courses often highlight the importance of pelagic predators like barracuda to reef stability.
7. Fun Fact or Trivia
Barracuda can reach speeds of over 40 km/h and have binocular-like vision—making them precision hunters. Despite their intimidating look, they’re not aggressive to divers. Still, spotting one on the move at the Koh Phai dive site Pattaya is a pulse-quickening moment that captures the raw energy of Pattaya marine life.
Batfish – The Gentle Drifters of Koh Phai Dive Site Pattaya
1. Species Identification
Common Name: Batfish
Scientific Name: Commonly seen species include Platax teira (Teira Batfish) and Platax orbicularis (Orbicular Batfish)
2. How Often Can You See Them
Batfish are seen fairly often at the Koh Phai dive site Pattaya, especially in the midwater zones near the HTMS Khram wreck and along sloping reef walls. They tend to hover in small, slow-moving schools just above the coral line, and sometimes accompany divers for extended periods. Their calm behavior and photogenic shape make them a popular highlight during Far Islands Pattaya diving excursions.
3. Behavior at the Reef
Batfish are curious but non-aggressive, often approaching divers and swimming beside them in open water. At Koh Phai, they’re usually spotted between 8 and 18 meters, drifting above coral bommies or between reef ridges. Their schooling behavior and graceful movement make them easy to observe—even for those doing entry-level Pattaya dive courses.
4. Photography Tips
Batfish are perfect wide-angle subjects. Their reflective scales and slow motion give photographers time to frame ideal reef or blue water backgrounds. For fun diving Pattaya photographers, the best compositions come when the fish are backlit by surface light or drifting in formation near a wreck or structure.
5. Why This Site Attracts Them
Koh Phai’s combination of sheltered reef zones and deep-water transitions offers the calm vertical space batfish prefer. The reduced diver traffic compared to inner Pattaya wreck diving sites means these peaceful fish are more likely to stay nearby instead of retreating into the blue.
6. Conservation or Ecological Note
Batfish aren’t reef cleaners or predators—they’re mid-level omnivores. Their presence is often linked to stable water quality and healthy reef structure. Scuba diving in Thailand—especially in marine parks like the Far Islands—relies on protecting such species that add to the overall diversity of the ecosystem.
7. Fun Fact or Trivia
Juvenile batfish look entirely different from their adult forms—flattened, flowing, and almost leaf-like in shape and color. Divers who spot both forms at the Koh Phai dive site Pattaya get a glimpse into one of nature’s most elegant growth transformations—an unforgettable experience among Pattaya marine life.






Moray Eels – The Hidden Sentinels of Koh Phai Dive Site Pattaya
1. Species Identification
Common Name: Moray Eel
Scientific Name: Commonly seen species include Gymnothorax javanicus (Giant Moray), Gymnothorax meleagris (Whitemouth Moray), and Gymnothorax pictus (Peppered Moray)
2. How Often Can You See Them
Moray eels are regularly sighted at the Koh Phai dive site Pattaya, most often tucked into crevices, under coral shelves, or within wreck structures like the HTMS Khram. Their daytime behavior makes them easy to find if you know where to look—especially useful for instructors guiding Pattaya dive courses around reef walls and rocky zones.
3. Behavior at the Reef
Morays are mostly sedentary during the day, poking their heads from cracks with mouths agape—not in aggression, but to pump water across their gills. At Koh Phai, they’re often found near reef fish cleaning stations or in shaded coral recesses, a favorite discovery for divers exploring Far Islands Pattaya diving sites.
4. Photography Tips
Shoot from the side at eye level to emphasize their shape and teeth, and avoid direct flash to reduce eye reflection. If you’re fun diving Pattaya and love creature portraits, patience will reward you with a dramatic, moody capture—especially in overhangs or at the base of reef slopes.
5. Why This Site Attracts Them
Koh Phai’s dense coral formations, boulder fields, and artificial reef structures provide ideal hiding places for morays. The lack of overfishing and boat crowding compared to busier Pattaya wreck diving spots makes these eels more visible and less skittish.
6. Conservation or Ecological Note
Moray eels help keep reef ecosystems balanced by preying on sick or slow-moving fish. Their healthy population at Koh Phai speaks to reef integrity, making them a key member of the local Pattaya marine life web.
7. Fun Fact or Trivia
Morays have a second set of jaws called pharyngeal jaws—used to pull prey down their throat. Spotting one during a dive at the Koh Phai dive site Pattaya feels like discovering a secret predator hidden in plain sight.
Lionfish – The Elegant Invaders of Koh Phai Dive Site Pattaya
1. Species Identification
Common Name: Lionfish
Scientific Name: Pterois volitans (Red Lionfish), Pterois miles (Devil Firefish)
2. How Often Can You See Them
Lionfish are a common sight at the Koh Phai dive site Pattaya, especially around the HTMS Khram wreck, coral bommies, and under shaded ledges. Their slow, floating movements and bold patterns make them easy to spot even for beginner divers on Far Islands Pattaya diving trips.
3. Behavior at the Reef
Lionfish are stealthy ambush predators that hunt at dusk and dawn. During the day, they often rest motionless under ledges or among sea whips. At Koh Phai, you’ll often find them stalking small reef fish or hiding inside wreck compartments—an eerie but beautiful presence during fun diving Pattaya.
4. Photography Tips
Their beauty makes them a favorite subject—just don’t get too close to their venomous spines. Use soft strobes and shoot from an angle that captures their fanned fins. The Ultimate Guide to Koh Phai Dive Site Pattaya recommends morning dives for the best natural light and less backscatter near the wreck.
5. Why This Site Attracts Them
Koh Phai’s calm, structured environments with minimal diver traffic are perfect hunting grounds for lionfish. Compared to inner Pattaya wreck diving zones, the quieter reef edges and wreck interiors at Koh Phai allow them to thrive undisturbed.
6. Conservation or Ecological Note
Though native in this region, lionfish still need to be monitored due to their aggressive feeding. In some ecosystems, they are invasive. At Koh Phai, their balanced population adds beauty without damaging the reef—but they remain a case study in predator management for Pattaya dive courses.
7. Fun Fact or Trivia
Each lionfish has up to 18 venomous spines, and yet they move like ballet dancers across the reef. Watching one hover at the Koh Phai dive site Pattaya feels like witnessing slow-motion elegance—a haunting contrast to their lethal biology within the broader spectrum of Pattaya marine life.
Macro Life – Tiny Treasures of Koh Phai Dive Site Pattaya
The vibrant coral ecosystems and sponge-covered slopes of Koh Phai are home to a world often missed by casual divers: the macro life. While larger species like batfish, groupers, and barracuda often steal the spotlight, those who slow down and look closely are rewarded with encounters that are equally rare and visually stunning. The Ultimate Guide to Koh Phai Dive Site Pattaya would not be complete without celebrating these miniature wonders—many of which are found nowhere else in the region with such consistency.
Among the stars of Koh Phai’s macro scene are the nudibranchs—colorful sea slugs with wildly diverse forms. From neon Hypselodoris bullocki to the bumpy Phyllidia varicosa, these soft-bodied invertebrates crawl along sponge ridges, coral rubble, and even inside the HTMS Khram wreck. It’s not uncommon to spot several varieties on a single dive, making this site a favorite among underwater photographers focused on Pattaya marine life documentation.
Another highlight is the elusive ghost pipefish, often hidden in feather stars or floating among sea grass like a piece of reef debris. At Koh Phai, their camouflage is remarkable, but experienced guides leading Far Islands Pattaya diving trips know the exact spots to search. Nearby, seahorses cling to gorgonians or sea fans, their tiny tails wrapped delicately around branches in calm, current-protected zones—especially around the island’s western bay.
You’ll also find decorator crabs, porcelain crabs, and coral shrimp nestled within anemones or tucked into the cracks of hard coral. During fun diving Pattaya experiences focused on macro discovery, divers often spot cowries, bivalves, and even octopuses hiding in plain sight. These encounters provide quiet, meditative moments on otherwise action-packed dives.
Koh Phai’s sponge growth, coral diversity, and relatively undisturbed slopes make it a hotspot for critter hunters—ideal for divers who enjoy moving slowly and paying attention to the finer details. Unlike high-traffic Pattaya wreck diving areas, the calmer zones here allow fragile creatures to thrive undisturbed, enhancing the experience for both beginner and seasoned macro lovers.
Instructors leading Pattaya dive courses frequently use macro species as examples of reef adaptation, camouflage, and ecological interaction. Studying these creatures closely helps new divers build buoyancy and patience—core skills for successful scuba diving in Thailand.
Whether you’re here for wide-angle wrecks or tiny, glittering details, the Ultimate Guide to Koh Phai Dive Site Pattaya encourages you to look closer. In the smallest corners of this reef, you’ll find some of the most remarkable and rewarding sights of your dive career.
Topography & Dive Routes at Koh Phai Dive Site Pattaya
The underwater terrain of Koh Phai is among the most diverse in the Gulf of Thailand. From sweeping coral gardens and sandy slopes to dramatic drop-offs and artificial reef structures, the topography of this Far Islands destination offers something for every type of diver. Whether you’re into wrecks, reef walls, or open-water cruising, the Koh Phai dive site Pattaya delivers a rewarding experience with dynamic route options that evolve with the current and time of day.
Most dives begin on the island’s western bay, where sandy bottoms gently transition into coral bommies and sponge-covered ledges between 5 and 14 meters. This zone is especially popular for Pattaya dive courses, as it provides calm conditions and excellent visibility for skill development and macro spotting. Moving southward, the terrain deepens into sloping reefs and rocky channels that are ideal for spotting larger marine life and occasional drift dives.
To the east, divers can access the HTMS Khram wreck—resting upright at approximately 26 meters. This iconic site draws advanced divers and photographers from across the region and is often included in guided Pattaya wreck diving trips. The wreck features easy penetration routes, a variety of fish species, and a growing layer of soft coral and sponge life, making it one of the highlights of the Koh Phai underwater circuit.
The southern and southeastern reef faces offer deeper profiles and stronger current potential. These areas attract open-water pelagics like trevally and barracuda, offering a thrilling edge for those seeking more adventurous fun diving Pattaya experiences. With wide, sandy clearings and coral ridgelines, these deeper paths are well-suited for experienced divers with good buoyancy control.
Each route around the island is designed to showcase both the scenic coral systems and the thriving Pattaya marine life that makes Koh Phai such a special place. Whether you’re drifting along the reef walls or exploring the quiet corners of the wreck, the layout of this site ensures that no two dives are ever the same.
For divers serious about Pattaya scuba diving, Koh Phai represents a complete package: technical depth, beginner-friendly reef zones, excellent visibility, and some of the best marine biodiversity in the area—all wrapped into one stunning topographical layout.
Certifications Required for Koh Phai Dive Site Pattaya
Before diving into the varied depths and features of the Koh Phai dive site Pattaya, it’s essential to know which certifications are suitable for different zones. While much of the site is beginner-friendly, certain areas like the deeper reef slopes and the HTMS Khram wreck demand more training and experience.
Most divers begin their underwater education with PADI—the Professional Association of Diving Instructors. As the world’s leading scuba certification agency, PADI offers structured, internationally recognized programs that prepare divers for a wide range of environments. From foundational skills to advanced techniques, PADI certifications are the benchmark for safe and responsible diving across Thailand and the world.
Entry-Level Zones (3–12 meters)
- Minimum Certification: PADI Open Water Diver (or Discover Scuba Diving)
- Suitable for coral gardens, sandy slopes, and calm reef shelves
- Frequently used for beginner training and Pattaya dive courses
Intermediate to Advanced Zones (18–30 meters)
- Recommended Certification: PADI Advanced Open Water Diver
- Optional: Deep Diver and Wreck Diver PADI Specialties
- Covers areas like the HTMS Khram, often included in Pattaya wreck diving schedules
Current-Prone or Deeper Profiles
- Best Suited For: Certified divers with experience in mild to moderate current
- These routes offer rewarding terrain and sightings ideal for fun diving Pattaya excursions
Koh Phai accommodates a wide range of diver skill levels, making it one of the most balanced sites in the region. Those pursuing underwater photography, fish identification, or buoyancy mastery will also find specialized PADI training useful for observing Pattaya marine life respectfully and effectively.
Whether you’re new to the sport or advancing your underwater career, Pattaya scuba diving at Koh Phai offers ample opportunity to grow, explore, and experience the full depth of the Gulf of Thailand’s marine diversity.
Frequently Asked Questions – Koh Phai Dive Site Pattaya
What are the typical dive conditions at Koh Phai?
Dive conditions at Koh Phai are generally stable year-round, with water temperatures ranging from 28°C to 30°C. Visibility typically ranges from 8 to 15 meters, improving during the dry season. Currents vary by location—mild in the western bay and moderate along the southern and eastern slopes.
When is the best time to dive Koh Phai?
The best diving months are from November to April, during Thailand’s dry season. Visibility is clearest, surface conditions are calm, and marine life activity tends to peak. However, Koh Phai remains diveable throughout the year with proper planning and local guidance.
Is Koh Phai suitable for snorkeling?
Not generally. Koh Phai is primarily a scuba diving destination due to its deeper reef structures and lack of protected snorkeling areas. Stronger currents and limited shallow entry zones make it unsuitable for casual snorkeling compared to Near Island sites.
Why should I dive Koh Phai over other Pattaya dive sites?
Koh Phai offers a more remote, less crowded alternative to Near Island sites like Koh Larn. The marine life is more diverse, visibility is better, and the reef is in healthier condition. It’s ideal for divers seeking solitude, depth variation, and high-quality reef and wreck diving.
Why dive with No Limit Dive Center?
No Limit Dive Center specializes in small-group, tailored dive experiences with a strong focus on safety, marine education, and personal service. Their guides have deep familiarity with Koh Phai’s topography and macro life, and the center offers everything from beginner courses to advanced specialties, all under PADI standards.
How long does it take to reach Koh Phai from Pattaya?
The boat ride from Bali Hai Pier to Koh Phai typically takes 60 to 90 minutes, depending on weather and boat type. Because of its distance, it is considered part of the Far Islands group and is usually included in full-day dive trips.
Is Nitrox available for diving at Koh Phai?
Yes. Many dive centers, including No Limit Dive Center, offer Nitrox for deeper or multi-dive trips to Koh Phai. It’s especially useful for extended bottom time at the HTMS Khram wreck or deeper reef zones.
Can I dive Koh Phai without advanced certification?
Yes, but with limitations. PADI Open Water Divers can explore the shallower reef zones (3–18 meters), while deeper areas and the wreck require an Advanced Open Water certification. Guided dives will be tailored to your certification level.
Are there toilets and facilities on Koh Phai Island?
No. Koh Phai is a protected zone managed by the Thai Navy and is uninhabited. There are no toilets, restaurants, or shops on the island. All surface intervals, meals, and bathroom use occur aboard the dive boat.
What marine life can I expect to see that’s unique to Koh Phai?
Koh Phai is known for encounters with ghost pipefish, sweetlips, juvenile batfish, seahorses, and large schools of snappers and barracuda. The HTMS Khram wreck also hosts lionfish, groupers, and nudibranchs. It’s one of the most species-rich sites in the Pattaya scuba diving region.
Dive Beyond Koh Phai – Explore the Full Range of Pattaya and Samaesan Dive Sites
Koh Phai is more than just a single dive site—it’s the gateway to a wider marine playground stretching across the full range of Pattaya scuba diving and Samaesan’s dive regions. With its deep coral slopes, pelagic encounters, and access to the HTMS Khram wreck, Koh Phai offers a taste of everything the Gulf of Thailand has to offer. But the adventure doesn’t stop there.
Once you’ve explored the coral gardens and sponge-covered ledges highlighted in the Ultimate Guide to Koh Phai Dive Site Pattaya, it’s time to broaden your map and dive deeper into the world-class variety that surrounds it. From historic warships and current-swept pinnacles to calm training reefs and macro-packed rubble fields, this coastline delivers one of the most complete dive environments in Southeast Asia.
Whether you’re seeking advanced Pattaya dive courses, macro photography, or simply more diversity in your dive plan, the Far Islands and Samaesan region provide exactly that. The fun diving Pattaya scene is more than just coral—it’s built on access to rare marine encounters, multiple wreck systems, and quiet dive sites perfect for personal exploration.
The dive sites listed below are perfect for expanding your skillset beyond the scope of the Ultimate Guide to Koh Phai Dive Site Pattaya, offering new conditions, depth profiles, and biodiversity with every dive.
Pattaya Dive Sites
Koh Sak
Sheltered reef with sandy pockets and bommies. Excellent for practicing buoyancy and spotting nudibranchs. A great site for early Pattaya dive courses and macro enthusiasts.
Koh Larn
Colorful reef walls, occasional turtle sightings, and calm surface conditions. A staple of the Pattaya scuba diving scene for both beginners and advanced fun divers.
Koh Krok
Coral ridges, rubble patches, and a gentle drift. Divers exploring fun diving Pattaya love this site for its easy navigation and surprise stingray sightings.
Koh Nok
Macro heaven. Seahorses, bamboo sharks, and soft coral clusters. Often used in Pattaya dive courses focused on marine ID and photo practice.
Koh Phai (Bamboo Island)
Detailed in the Ultimate Guide to Koh Phai Dive Site Pattaya, this Far Islands site features deep coral terraces, improved visibility, and pelagic traffic like trevally and barracuda. A top pick in the Pattaya wreck diving category thanks to the Khram wreck.
Koh Rin
Boulder reefs with stronger currents and mid-sized pelagics like jacks and tuna. Part of advanced Pattaya scuba diving routes.
Koh Hu Chang
Soft coral meadows and small caves. Excellent for navigation practice and second dives on Far Islands days.
HTMS Khram Wreck
Upright at 30 meters, this is a major Pattaya wreck diving landmark. Home to lionfish, groupers, nudibranchs, and schools of snapper.
HTMS Kut Wreck
A shallow patrol boat wreck great for introductory wreck dives. Ideal for specialty Pattaya dive courses.
HTMS Mataphon Wreck
Compact and training-friendly, this wreck is often used for buoyancy and navigation drills, filled with macro life and beginner wreck penetration routes.
Bremen Wreck
Deep and for experts only. A haunting cargo vessel with real penetration potential and large fish species.
Samaesan Dive Sites
HTMS Hardeep (SS Suddhadib)
One of the most famous Pattaya wreck diving sites despite being slightly south in Samaesan. Covered in soft coral and swept by seasonal currents.
T94 and T95 Wrecks
Twin torpedo boats offering dense macro habitats—an absolute must for Pattaya marine life photography.
Koh Chuang
Shallow coral gardens and cuttlefish sightings. Perfect for beginner Pattaya scuba diving trips and navigation refreshers.
Koh Chan
Sloping sand beds, coral clusters, and clear visibility. Often part of multi-dive trips with fun diving Pattaya guides.
Koh Rong Nang
Granite boulders, swim-throughs, and stingray appearances. A good choice for advanced divers seeking terrain variety.
Shark Fin Rock (Hin Lak Bat)
Exposed pinnacle with strong current and wide-angle pelagic scenes. Ideal for experienced divers looking to expand beyond reef and wreck specialties.
Koh Phai might be your entry point, but it shouldn’t be your limit. As you explore deeper into the world of Pattaya scuba diving, you’ll uncover wrecks teeming with life, reefs pulsing with biodiversity, and remote islands offering solitude and spectacle. Whether your goal is mastering buoyancy, spotting rare nudibranchs, or completing advanced Pattaya dive courses, the waters around Koh Phai offer a path forward.
And as the Ultimate Guide to Koh Phai Dive Site Pattaya makes clear—every dive here is a step into a bigger story of Pattaya marine life, history, and underwater beauty.
Start Your Dive Journey with No Limit Dive Center
Whether you’re a beginner eager to explore coral gardens or an advanced diver seeking your next wreck adventure, Koh Phai is just the beginning. From vibrant reefs to historic shipwrecks, the waters around Pattaya and Samaesan offer unmatched variety, depth, and discovery.
At No Limit Dive Center, we specialize in creating safe, personalized, and unforgettable diving experiences. Our team of experienced PADI professionals is ready to guide you through every level of underwater exploration—from introductory fun dives to advanced wreck penetrations.
If you’re curious about Pattaya scuba diving, want to enroll in professional Pattaya dive courses, or are ready to take on the challenge of Pattaya wreck diving, we’re here to help. Our dive trips to Koh Phai and other Far Islands also highlight the richness of Pattaya marine life, from the smallest nudibranch to the largest barracuda.
Let the Ultimate Guide to Koh Phai Dive Site Pattaya be your starting point—and No Limit Dive Center your trusted partner for everything that comes next.
Contact us today to plan your dives, ask about certification options, or learn more about scuba diving in Pattaya and Samaesan. The best dives are still ahead.